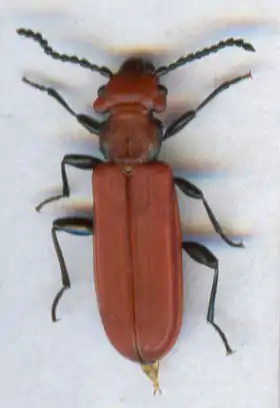
Cucujus cinnaberinus
Cucujus cinnaberinus é uma espécie de coleóptero da família Cucujidae.
| Cucujus cinnaberinus | |||||||||||||||||||||
|---|---|---|---|---|---|---|---|---|---|---|---|---|---|---|---|---|---|---|---|---|---|
![]() | |||||||||||||||||||||
| Estado de conservação | |||||||||||||||||||||
![]() Quase ameaçada (IUCN 3.1) | |||||||||||||||||||||
| Classificação científica | |||||||||||||||||||||
| |||||||||||||||||||||
| Nome binomial | |||||||||||||||||||||
| Cucujus cinnaberinus (Scopoli, 1763) | |||||||||||||||||||||
| Sinónimos | |||||||||||||||||||||
| Cucujus depressus Cucujus geniculatus Cucujus sanguinolentus Cantharis sanguinolentus | |||||||||||||||||||||
Distribuição geográfica
Pode ser encontrada nos seguintes países: Alemanha, Áustria, Bielorrússia, Eslováquia, Estónia, Finlândia, Hungria, Letónia, Lituânia, Montenegro, Noruega, Polónia, República Checa, Roménia, Rússia, Sérvia e Suécia.
Referências
- (em inglês) Nieto, A., Mannerkoski, I., Putchkov, A., Tykarski, P., Mason, F., Dodelin, B., Horák, J. & Tezcan, S. 2009. Cucujus cinnaberinus. 2010 IUCN Red List of Threatened Species. Dados de 18 de Abril de 2011.
This article is issued from Wikipedia. The text is licensed under Creative Commons - Attribution - Sharealike. Additional terms may apply for the media files.

