Ciclone Dora
O ciclone tropical intenso Dora (designação do JTWC: 10S; também conhecido simplesmente como ciclone Dora) foi um intenso ciclone tropical intenso que esteve ativo durante o final de Janeiro e o começo de Fevereiro de 2007 no Oceano Índico sudoeste. Sendo o sétimo ciclone tropical, o quarto sistema tropical nomeado e o segundo ciclone tropical intenso da temporada de ciclones no Oceano Índico sudoeste de 2006-07, Dora formou-se de uma perturbação tropical próximo a Diego Garcia em 26 de Janeiro e seguiu para o sul, fazendo zig zags antes alcançar seu pico de intensidade com ventos máximos sustentados de 215 km/h, segundo o JTWC, ou 195 km/h, segundo o CMRE de Reunião. Durante a segunda semana de Fevereiro, Dora se enfraqueceu e encontrando condições desfavoráveis, tornou-se um ciclone extratropical em 9 de Fevereiro, dissipando-se completamente três dias mais tarde.
| Ciclone tropical intenso Dora | |
| Ciclone tropical intenso (Escala SWIO) | |
|---|---|
| Ciclone tropical categoria 5 (SSHWS) | |
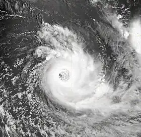
O ciclone Dora durante seu pico de intensidade, como um ciclone tropical anular. | |
| Formação | 26 de Janeiro de 2007 |
| Dissipação | 12 de Fevereiro de 2007 |
| Ventos mais fortes | sustentado 10 min.: 195 km/h (120 mph) sustentado 1 min.: 400 km/h (245 mph) |
| Pressão mais baixa | 925 hPa (mbar); 27.32 inHg |
| Fatalidades | Nenhuma |
| Danos | Nenhum |
| Áreas afectadas | Rodrigues |
| Parte da Temporada de ciclones no Oceano Índico sudoeste de 2006-07 | |
Como o ciclone manteve-se distante da costa, Dora não causou fatalidades ou prejuízos. Apenas a pequena ilha de Rodrigues emitiu um aviso de ciclone assim que o ciclone fez a sua aproximação máxima da ilha em 6 de Fevereiro.
História meteorológica

A área de convecção que viria dar origem ao ciclone Dora formou-se em 24 de Janeiro, a cerca de 170 km a oés-sudoeste de Diego Garcia, Território Britânico do Oceano Índico.[1] O Joint Typhoon Warning Center (JTWC) começou a monitorar o sistema como uma perturbação tropical em 26 de Janeiro. Segundo o JTWC, naquele momento havia bandas de tempestade na periferia noroeste do centro ciclônico do sistema. Também, havia pouco cisalhamento do vento e boa divergência de altos níveis.[2] Em 28 de Janeiro, o Centro Meteorológico Regional Especializado (CMRE) de Reunião começou a monitorar o sistema como uma perturbação tropical, atribuindo-lhe a designação 07R.[3] Pouco depois, com a continua intensificação do sistema, o JTWC emitiu um alerta de formação de ciclone tropical, dizendo sobre a possibilidade do sistema se tornar um ciclone tropical significativo em menos de 24 horas.[4] O estabelecimento de um anticiclone acima do sistema proporcionava favoráveis fluxos externos e o centro ciclônico ficou mais bem definido.[5] Com isso, o JTWC classificou o sistema para o ciclone tropical 10S e emitiu o primeiro aviso regular sobre o sistema. Naquele momento, o centro do ciclone localizava-se a 630 km a sudoeste de Diego Garcia.[6] Durante a madrugada de 29 de Janeiro, o CMRE de Reunião classificou o sistema para uma depressão tropical.[7]
Com excelentes fluxos externos setentrionais, o sistema continuou a se intensificar gradualmente e ao meio-dia (UTC) de 29 de Janeiro, o Centro de Aviso de Ciclone Tropical de Maurício classificou a depressão para uma tempestade tropical moderada, atribuindo-lhe o nome Dora,[8] que foi submetido à lista de nomes de ciclones pelo Madagascar. Naquele momento, Dora movia-se para sul-sudoeste ao longo da periferia sudoeste de uma área de alta pressão equatorial.[4] A partir de então, Dora começou a se intensificar mais rapidamente e no começo da madrugada de 30 de Janeiro, o CMRE de Reunião classificou o sistema para uma tempestade tropical severa.[9] No entanto, a partir de então Dora começou a se intensificar lentamente, embora continuamente. Durante a manhã de 1 de Fevereiro, o CMRE de Reunião classificou Dora para um ciclone tropical (intensidade equivalente a de um furacão).[10] Naquele momento, o centro de Dora localizava-se a 665 km a norte-noroeste de Rodrigues, pequena ilha no Oceano Índico central pertencente a Maurício.[11] Naquele momento, o ciclone movimentava-se lentamente para o sul, sob a influência competitiva de uma área de alta pressão quase equatorial ao seu nordeste e de uma alta subtropical ao seu sul.[4]Dora continuava a se intensificar, mas muito lentamente, devido ao ar estável trazido por um cavado que passou ao seu sul.[4] Por volta deste momento, Dora sofreu um ciclo de substituição da parede do olho e tornou-se um ciclone tropical anular em 2 de Fevereiro.[4] Continuando a se fortalecer lentamente, Dora tornou-se um ciclone tropical intenso, segundo o CMRE de reunião durante a noite de 2 de Fevereiro[12] e alcançou seu pico de intensidade durante a manhã (UTC) de 3 de Fevereiro, com ventos máximos sustentados de 215 km/h, segundo o JTWC,[13] ou 185 km/h, segundo o CMRE de Reunião.[14] Dora manteve o pico de intensidade por cerca de 12 horas, antes de começar a se enfraquecer assim que continuava a seguir para sudoeste.

A partir de então, Dora começou a se enfraquecer rapidamente assim que um anticiclone em fortalecimento ao seu sudeste começou a injetar ar mais frio e seco para o centro do ciclone.[4] Com isso, no começo da madrugada de 5 de Fevereiro, o CMRE de Reunião desclassificou Dora para uma tempestade tropical severa.[15] No entanto, a intensidade de Dora manteve-se nivelada por cerca de 36 horas. Com a continua competição de influências entre a alta subtropical e a área de alta pressão quase equatorial, Dora movia-se erraticamente e em 6 de Fevereiro, Dora deslocava-se para oeste, passando a 165 km da pequena ilha Rodrigues no começo da madrugada daquele dia.[4] No entanto, Dora começou a seguir para sudoeste, direção que Dora seguiu até o final de seu ciclo de vida.[4] Assim que o ciclone seguia para latitudes mais altas, encontrava mais cisalhamento do vento e ar seco, que causou o enfraquecimento adicional do sistema. Ao meio-dia de 6 de Fevereiro, o CMRE desclassificou o sistema para uma tempestade tropical moderada.[16] A partir de então Dora encontrou a zona baroclínica e começou a se tornar um ciclone extratropical.[4] O sistema ainda mantinha-se como tropical ainda por mais três dias. Durante a madrugada (UTC) de 9 de Fevereiro, Dora tornou-se completamente extratropical e o JTWC emitiu seu aviso final sobre o sistema.[17] O CMRE de Reunião ainda manteve avisos regulares sobre o sistema extratropical remanescente de Dora até às 18:00 (UTC) de 12 de Fevereiro, quando o sistema dissipou-se completamente a mais de 1.800 km a sudoeste de Reunião.[18]
Preparativos e impactos
Como o ciclone manteve-se distante da costa durante todo o seu período de Existência, Dora não provocou qualquer tipo de impacto. Apenas a ilha Rodrigues emitiu um alerta de ciclone classe 2 quando Dora aproximou-se da ilha em 6 de Fevereiro. Portanto, nenhuma fatalidade ou prejuízo foi atribuído à passagem do ciclone.[4]
Referências
- http://www.nrlmry.navy.mil/tc-bin/tc_display.cgi?BASIN=SHEM&STORM_NAME=10S.DORA&STATUS=inactive&ACTION=Latest_Photos&ACTIVES=None&MOSAIC_SCALE=20&PHOT=No&ATCF_BASIN=sh&USE_THIS_DIR=/TC/tc07/SHEM/10S.DORA/CloudSat&PROD=89&CGI=TC&SUB_PROD=2degreeticks&ARCHIVE=all&SIZE=Thumb&TYPE=amsub&NAV=tc&DIR=/TC/tc07/SHEM/10S.DORA/amsub/89/2degreeticks&YR=07&ATCF_YR=2007&YEAR=2007&ATCF_FILE=/data/www/atcf_web/public_html/image_archives/2007/sh102007.07021006.gif&MO=FEB&AGE=Previous&CURRENT_ATCF=sh102007.07021006.gif&ATCF_NAME=sh102007&ATCF_DIR=/data/www/atcf_web/public_html/image_archives/2007&STYLE=frames
- ftp://ftp.met.fsu.edu/pub/weather/tropical/GuamStuff/2007012618-ABIO.PGTW
- ftp://ftp.met.fsu.edu/pub/weather/tropical/Seychelles/2007012806-FMEE
- http://australiasevereweather.com/cyclones/2007/summ0701.htm
- ftp://ftp.met.fsu.edu/pub/weather/tropical/GuamStuff/2007012818-ABIO.PGTW
- ftp://ftp.met.fsu.edu/pub/weather/tropical/Seychelles/2007012906-FMEE
- ftp://ftp.met.fsu.edu/pub/weather/tropical/Seychelles/2007012912-FMEE
- ftp://ftp.met.fsu.edu/pub/weather/tropical/Seychelles/2007013000-FMEE
- ftp://ftp.met.fsu.edu/pub/weather/tropical/Seychelles/2007020106-FMEE
- ftp://ftp.met.fsu.edu/pub/weather/tropical/Seychelles/2007020218-FMEE
- ftp://ftp.met.fsu.edu/pub/weather/tropical/Seychelles/2007020312-FMEE
- ftp://ftp.met.fsu.edu/pub/weather/tropical/Seychelles/2007020500-FMEE
- ftp://ftp.met.fsu.edu/pub/weather/tropical/Seychelles/2007021218-FMEE
