Ciclone Winston
O ciclone tropical severo Winston foi o ciclone tropical mais intenso registado no hemisfério sul, assim como o mais forte a atingir terra,[1] com a possível exceção do ciclone Mahina de 1899 em ambos os aspetos.[2] Winston também bateu o recorde do ciclone tropical mais caro na bacia do Pacífico Sul.[3] O sistema foi notado pela primeira vez como uma perturbação tropical em 7 de fevereiro de 2016, quando estava localizado a noroeste de Port Vila, Vanuatu. Nos dias seguintes, o sistema desenvolveu-se gradualmente ao mover-se para sudeste, adquirindo ventos fortes em 11 de fevereiro. No dia seguinte, ele sofreu uma rápida intensificação e atingiu ventos máximos sustentados de 10 minutos de 175 km/h. As condições ambientais menos favoráveis provocaram um enfraquecimento subsequente. Depois de virar para nordeste em 14 de fevereiro, Winston parou para o norte de Tonga em 17 de fevereiro. Devido a uma mudança na direção de nível superior, a tempestade voltou para oeste. No processo, em 19 de fevereiro novamente Winston intensificou–se rapidamente, atingindo a intensidade de categoria 5 tanto na escala de ciclones tropicais australianos quanto na escala de furacões de Saffir-Simpson. A tempestade passou diretamente sobre Vanua Balavu, onde foi observada uma rajada de vento recorde nacional de 306 km/h (190 mph).
| Ciclone tropical severo Winston | |
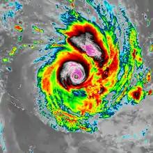
Winston na máxima intensidade antes do desembarque em Fiji em 20 de fevereiro | |
| História meteorológica | |
|---|---|
| Formação | 7 de fevereiro 2016 |
| Extratropical | 25 Fevereiro 2016 |
| Dissipação | 3 de março 2016 |
| Ciclone tropical severo categoria 5 | |
| 10-minutos sustentados (FMS) | |
| Ventos mais fortes | 280 km/h (175 mph) |
| Pressão mais baixa | 884 hPa (mbar); 26.10 inHg (Recorde oficial baixo no Hemisfério Sul; recorde global baixo no desembarque) |
| Ciclone tropical equivalente categoria 5 | |
| 1-minuto sustentado (SSHWS/JTWC) | |
| Ventos mais fortes | 285 km/h (180 mph) |
| Pressão mais baixa | 907 hPa (mbar); 26.78 inHg |
| Efeitos gerais | |
| Fatalidades | 44 total |
| Danos | $1.4 billhão (2016 USD) |
| Áreas afetadas | Vanuatu, Fiji, Tonga, Niue, Queensland |
| IBTrACS |
|
Parte da Temporadas de 2015–16 Pacífico Sul and ciclones na região da Austrália |
|
O ciclone atingiu o pico de intensidade em 20 de fevereiro, com ventos sustentados de dez minutos de 280 km/h (170 mph) e uma pressão de 884 mbar (26.1 inHg), pouco antes de desembarcar em Viti Levu, Fiji.[1] Depois disso, a tempestade enfraqueceu lentamente em um ambiente menos favorável; o sistema virou para sudeste durante este tempo, embora tenha permanecido bem longe de Fiji. Posteriormente, degenerou em um baixo remanescente, com algumas características subtropicais, em 24 de fevereiro quando virou para oeste e depois para noroeste. O sistema persistiu por mais de uma semana no Mar de Coral antes de finalmente se mover sobre Queensland, Austrália e se dissipar em 3 de março, 26 dias após ser classificado como distúrbio tropical.
Antes da chegada da tempestade em Fiji, vários abrigos foram abertos e um toque de recolher em todo o país foi instituído durante a noite de 20 de fevereiro. Golpeando Fiji na intensidade de categoria 5 em 20 de fevereiro, Winston infligiu danos extensos em muitas ilhas e matou 44 pessoas. As comunicações foram perdidas temporariamente com pelo menos seis ilhas, com algumas permanecendo isoladas mais de dois dias após a passagem da tempestade. Um total de 40.000 casas foram danificadas ou destruídas e aproximadamente 350.000 pessoas - cerca de 40 por cento da população de Fiji - foi significativamente afetada pela tempestade. O dano total do Winston foi de FJ $ 2,98 mil milhões (US $ 1,4 mil milhões). O governo da nação declarou estado de emergência em 20 de fevereiro, que permaneceu no local por 60 dias. Imediatamente após o ciclone, os governos da Austrália e da Nova Zelândia forneceram apoio logístico e pacotes de socorro. Nas semanas seguintes, uma coalizão de apoio internacional, incluindo agências intergovernamentais, trouxe dezenas de milhões de dólares em ajuda e centenas de toneladas de suprimentos para residentes em Fiji.
Antecedentes
As principais ilhas de Fiji - Viti Levu e Vanua Levu, embora sejam frequentadas por ciclones tropicais em geral, raramente são afetadas por tempestades intensas como Winston.[4] Antes de Winston, a tempestade mais forte a afetar as ilhas principais desde que os registos começaram em 1941 foi Evan em dezembro de 2012, que contornou a costa oeste de Viti Levu como uma sistema de categoria 4 na escala australiana e na escala de vento do furacão Saffir – Simpson.[5] Também antes de Winston, a tempestade mais forte que atingiu Viti Levu ou Vanua Levu foi Nigel em 1985, com ventos sustentados de dez minutos de 150 km/h (93 mph) e ventos sustentados de um minuto de 195 km/h (121 mph), Categoria 3 em ambas as escalas.[4] Winston é a tempestade mais mortal a afetar a nação de Fiji desde o ciclone Meli em 1979, que atingiu 53 vidas.[6]
A relativa falta de fortes ciclones tropicais afetando a capital Suva, localizada ao longo da costa sudeste de Viti Levu, levou à complacência dos residentes. Muitos presumem que as fortes tempestades estão confinadas às áreas norte e oeste. Com Winston se aproximando de Fiji pelo leste e ameaçando Suva diretamente como um ciclone tropical severo de categoria 5, Angela Fritz do The Washington Post chamou a tempestade de pior cenário.[4]
História meteorológica

Tempestade tropical (63–118 km/h, 39–73 mph)
Categoria 1 (119–153 km/h, 74–95 mph)
Categoria 2 (154–177 km/h, 96–110 mph)
Categoria 3 (178–208 km/h, 111–129 mph)
Categoria 4 (209–251 km/h, 130–156 mph)
Categoria 5 (≥252 km/h, ≥157 mph)
Desconhecido
Origens e intensidade de pico inicial
Em 7 de fevereiro de 2016, o Fiji Meteorological Service (FMS) começou a monitorar o Distúrbio Tropical 09F, que havia desenvolvido cerca de 1,000 km (620 mi) noroeste de Port Vila, Vanuatu.[7] Nos dias seguintes, o sistema mudou-se para sudeste e gradualmente se desenvolveu ainda mais em um ambiente favorável.[8] Em 10 de fevereiro, o Joint Typhoon Warning Center (JTWC) dos Estados Unidos deu início a recomendações sobre o sistema e classificou-o como ciclone tropical 11P, enquanto estava localizado para perto de 860 km (530 mi) a oeste-noroeste de Suva, Fiji.[9] O FMS o atualizou para a status de categoria 1 na escala de ciclones tropicais australianos e atribuiu-lhe o nome de Winston no início de 11 de fevereiro; nesta época, a tempestade estava situada a cerca de 510 mi (820 km) oeste-noroeste de Suva, Fiji. Embutido em um fluxo médio de camada profunda do noroeste, o sistema seguiu para o sudeste.[10] Por volta das 12:00 UTC do mesmo dia, Winston se intensificou em um ciclone tropical de categoria 2, como um olho pequeno e bem definido desenvolvido dentro de uma convecção profunda.[11][12]

Situado em um ambiente muito favorável - apresentando temperaturas da superfície do mar 30–31 °C (86–88 °F) , fluxo de saída robusto de nível superior e cisalhamento de vento leve a moderado[13] —Winston intensificou-se rapidamente em 12 de fevereiro, tornando-se um ciclone tropical severo de categoria 3 às 06:00 UTC,[14] e, em seguida, um ciclone equivalente à categoria 4 apenas seis horas depois.[15] O sistema apresentava olho bem definido envolvido por convecção profunda e atingiu seu pico de intensidade inicial às 18:00 UTC, com ventos sustentados máximos de dez minutos de 175 km/h (109 mph)[16] e o JTWC estimou ventos máximos sustentados de um minuto em 215 km/h (134 mph), classificando-o como um ciclone de categoria equivalente a 4 na escala de vento do furacão Saffir – Simpson.[17] Logo depois disso, o aumento do cisalhamento do vento levou ao enfraquecimento;[18] convecção diminuiu e tornou-se cada vez mais irregular na aparência. Em 14 de fevereiro, Winston virou-se para o nordeste quando uma crista subtropical se posicionou ao norte.[19]
Enfraquecimento e giro para nordeste
O cisalhamento do vento persistente deslocou a convecção do centro de Winston, deixando a sua circulação parcialmente exposta. Como resultado, o sistema degradou-se abaixo do status de ciclone tropical severo às 00:00 UTC em 15 de fevereiro.[20] As condições tornaram-se mais favoráveis para o desenvolvimento em 16 de fevereiro, quando o cisalhamento diminuiu devido ao ciclone. Uma característica de faixa proeminente envolveu a circulação naquele dia, marcando o início da reintensificação.[21] Um olho se reformou mais tarde naquele dia com convecção crescente,[22] e Winston recuperou a intensidade do ciclone tropical severo por volta das 18:00 UTC.[23] O núcleo da tempestade tornou-se cada vez mais compacto e definido à medida que se fortalecia,[24] e um nublado denso central foi estabelecido em 17 de fevereiro.[25] Mais tarde naquele dia, Winston entrou em uma região de correntes de direção fracas e a tempestade ficou quase estacionária.[26] O olho da tempestade tornou-se mais aparente no final de 17 de fevereiro, quando dobrou de volta para o oeste.[27][28]
Máxima intensidade e desembarque em Fiji
Uma crista de reforço ao sul impulsionou Winston para o oeste em 18 de fevereiro, direcionando o ciclone que se intensificou em Fiji. O olho da tempestade aumentou de tamanho naquele dia,[29] e o fluxo de nível superior tornou-se mais definido.[30] A estrutura geral de Winston tornou-se cada vez mais simétrica,[31] e o sistema adquiriu características de um ciclone tropical anular.[32] Outro período de rápida intensificação ocorreu em 19 de fevereiro formando na tempestade um destaque de olho de 27 km (17 mi) de largura que foram cercados por intensa convecção.[33] Winston adquiriu status de categoria 5 - o nível mais alto na escala de intensidade australiana - às 06:00 UTC, com ventos sustentados de dez minutos atingindo 205 km/h (127 mph).[34] Alimentado por condições quase perfeitas para intensificação,[32] Winston se aprofundou ainda mais e o JTWC estimou que adquiriu ventos sustentados de um minuto de 270 km/h (170 mph) às 18:00 UTC, classificando-o como um ciclone de categoria 5 equivalente na escala de vento do furacão Saffir – Simpson.[35] Nessa época, o ciclone passou diretamente sobre a pequena ilha de Vanua Balavu.[32] Lá, uma estação meteorológica registou ventos sustentados de 233 km/h (145 mph) e uma rajada de 306 km/h (190 mph) antes de ser destruída; ambos os valores constituem um recorde nacional para Fiji.[36]
Passando logo ao sul de Vanua Levu, Winston atingiu o seu recorde de intensidade no início de 20 de fevereiro, com ventos sustentados de dez minutos de 280 km/h (170 mph) e uma pressão de 884 mbar (26.1 inHg).[1] Foi estimado operacionalmente com ventos sustentados de dez minutos de 230 km/h (140 mph) e uma pressão de 915 mbar (27.0 inHg).[37] O JTWC estimou Winston com ventos sustentados de um minuto de 285 km/h (177 mph).[17] No pico da intensidade, revelou uma estrutura convectiva bastante simétrica com um olho redondo de 25 km (16 mi), sob baixo cisalhamento vertical do vento facilmente compensado por forte divergência no alto; além disso, as temperaturas da superfície do mar permaneceram quentes, perto de 28 °C (82 °F).[38] Winston logo atingiu o distrito de Rakiraki em Viti Levu no pico de intensidade,[39][40] tornando-se a única conhecida tempestade de categoria 5, na escala de ciclone tropical australiano e na escala Saffir-Simpson, para impactar diretamente Fiji e, portanto, a tempestade mais intensa já registada a atingir o país.[41] Também marcou o desembarque em terra mais forte de qualquer ciclone na bacia do Pacífico Sul e uma das maiores ocorrências de terra em todo o mundo.[42] Apesar de se deteriorar ligeiramente ao cruzar a porção norte de Viti Levu, Winston permaneceu bem organizado, reformando um olho irregular e cheio de nuvens após reemergir em águas abertas.[43]
Enfraquecimento e dissipação final

Ainda sob condições favoráveis, Winston manteve a intensidade até ao início de 21 de fevereiro, quando o afloramento de águas mais frias sob a desaceleração do ciclone causou a enfraquecer-se para um ciclone de Categoria 4.[44][45] Em 22 de fevereiro, Winston virou fortemente para o sul-sudeste como o principal mecanismo de direção passou de um cume em retrograde para o oeste para um cume de construção para o leste; e, além disso, o ar seco prejudicava a reintensificação.[46] O cisalhamento vertical do vento muito forte e arrefecimento a temperaturas da superfície do mar resultou em constante enfraquecimento, e Winston caiu abaixo de intensidade de ciclone tropical severo no dia 23 de fevereiro.[47][48] Mais tarde, o baixo nível de circulação do centro tornou-se totalmente exposta com convecção rasa cortada para o sul. Como o sistema enfraquecido, uma crista subtropical relativamente rasa começou a dirigir para sudoeste. No final da noite de 24 de fevereiro, quando Winston entrou na área de responsabilidade de TCWC Wellington, o JTWC emitiu o aviso final e indicando características subtropicais, citando o enfraquecimento de nível médio núcleo quente e a expansão do campo de vento.[49][50]
O MetService afirmou que Winston transicionou em um ciclone extratropical a sudeste da Nova Caledónia, com ventos fortes às 00:00 UTC de 25 de fevereiro, mas o JTWC continuou a classificar Winston como sistema subtropical.[51][52] Em 26 de fevereiro, debaixo de um nível superior de baixa que produziu subsidência alto e alto cisalhamento vertical do vento, Winston revelou uma forte baixa de nível de núcleo quente e um centro fraco de nível superior frio.[53] O pós-ciclone tropical mudou-se para a bacia da região da Austrália no período da tarde, onde ele começou a enfraquecer, mais uma vez.[54] Embora Winston começou a mover-se para noroeste sobre águas mais quentes, a temperatura da superfície do mar desde o dia 27 de fevereiro, desfavorável de nível superior condições, bem como o ar seco impediu a reintensificação.[55][56] O sistema continuou a acompanhar ao largo da costa de Queensland, Austrália, como uma baixa fraca e superficial do sistema. O Australian Bureau de Meteorologia informou que Winston tinha, eventualmente, passado para uma baixa tropical e desabou sobre a costa norte de Cairns, às 1200 UTC de 3 de Março, localmente durante a noite.[57][58][59] Winston logo degenerou-se em um cavado sobre a terra.[60]
Impacto
Efeitos em Fiji

Em 14 de fevereiro, o FMS começou a emitir avisos de ciclones tropicais para o sul das Ilhas Lau de Fiji.[61] Estes expandiram gradualmente em cobertura até 15 de fevereiro,[62] mas foram descontinuados em 16 de fevereiro, quando Winston se afastou do país.[63] Os avisos foram retomados em 18 de fevereiro, depois que Winston voltou para Fiji, e foram emitidos para as ilhas do norte e do leste.[64] A maioria das ilhas do norte no caminho imediato da tempestade foram colocadas sob alertas de furacão em 19 de fevereiro.[65] Todos os abrigos nas Ilhas Lau do Sul, Ilha Koro e Taveuni foram abertos em 19 de fevereiro; mais de 700 abrigos abriram em toda a Fiji.[40][66] As Forças Militares da República de Fiji foram colocadas de prontidão para esforços de socorro.[67] O estado de emergência foi declarado durante a tarde de 20 de fevereiro,[68] e permaneceu no local até 20 Abril.[69] Um toque de recolher em todo o país foi decretado a partir das 18h00 hora local.[70] O transporte público foi suspenso em Viti Levu, e a Autoridade de Estradas de Fiji aconselhou fortemente os residentes a evitarem viagens, a menos que necessário. O primeiro-ministro Frank Bainimarama chamou a tempestade de "uma provação do tipo mais doloroso".
Atingindo a nação em 20 de fevereiro, Winston causou danos generalizados a várias ilhas.[40] Aproximadamente 80 por cento dos 900.000 da nação pessoas perderam energia,[71] incluindo a totalidade de Vanua Levu,[72] quando a força do furacão derrubou árvores e linhas de energia.[40] As comunicações com Vanua Balavu, Lakeba, Cicia, Nayau, Taveuni e Qamea foram perdidas em 20 de fevereiro.[73][74] O contacto com Vanua Balavu ainda não tinha sido estabelecido na noite de 22 de fevereiro.[75] O serviço de telefone fixo foi perdido na Ilha Matuku.[76] Um total de 44 pessoas foram mortas em todo o país: 21 na Divisão Oeste, 15 na Divisão Leste, 6 na Divisão Central e 2 na Divisão Norte.[77][78][79][80] Outros 126 ficaram feridos. Cerca de 350.000 pessoas - a população total da nação era de 837.721 no censo de 2007[81] - foram afetadas pela tempestade.[82]

A Divisão Leste de Fiji foi a primeira a ser atingida por Winston, com muitas ilhas sofrendo danos catastróficos. Comunidades inteiras foram destruídas e aproximadamente 40.000 as pessoas precisavam de assistência imediata.[83] A Ilha de Koro sofreu danos graves, com escolas destruídas e muitas estruturas perdendo os seus telhados.[84] A Vila Kade foi arrasada, com quase todas as estruturas destruídas.[85][86] Um indivíduo morreu em Nabasovi quando a sua casa desabou e doze pessoas ficaram feridas em Nabuna.[87][88] Outra mulher na ilha morreu posteriormente no hospital devido aos ferimentos que sofreu.[77] Um total de 788 casas foram destruídas e 234 danificadas em toda a Ilha de Koro,[85] deixando mais de 3.000 pessoas desabrigadas.[89] Danos significativos foram relatados em Ovalau,[90] onde o fluxo máximo de água atingiu 7 m (23 ft).[91] Do outro lado da Ilha Taveuni, 722 casas foram destruídas e 837 danificadas a um custo estimado de FJ$ 11,2 milhões (US$ 5,29 milhões).[85] Os dois portos principais de Taveuni foram severamente danificados e inutilizados em grande parte. As áreas do sul da ilha ficaram isoladas quando uma ponte foi destruída.[92] Uma torre de comunicação na Ilha Mago, de propriedade de Mel Gibson, desabou.[93] Só na província de Lomaiviti, a tempestade criou 42.000 toneladas de detritos.[83]
Em Viti Levu, ventos fortes destruíram pelo menos duas casas em Waidamu; o rio Waidamu também atingiu as suas margens e inundou as comunidades próximas.[94] Na aldeia Drauniivi, 64 casas foram completamente destruídas e mais 70 danos sustentados.[95] Centenas de casas foram destruídas dentro e ao redor da cidade de Rakiraki, com a área descrita como um cenário de devastação e desespero pelo Fiji Times.[96] A costa sul de Vanua Levu foi atingida por uma maré de tempestade significativa que inundou áreas de até 183 m (600 ft) para o interior perto da vila de Tacilevu. A aceleração máxima da onda atingiu 5 m (16 ft) em Nukubalavu.[91]
Em todo Fiji, um total de 40.000 casas foram danificadas ou destruídas.[97] A Divisão Oeste foi responsável pela maioria dos danos, com 6.954 casas destruídas e 11.234 danificadas.[98] Isso deixou cerca de 131.000 pessoas que precisam de assistência imediata de abrigo.[83][99] Além disso, 229 escolas foram gravemente danificadas ou destruídas.[100] O dano total da tempestade foi de FJ $ 2,98 mil milhões (US $ 1,4 mil milhão). No entanto, apesar dos enormes danos causados por Winston, o principal setor do turismo foi amplamente poupado.[97][100]

Impactando Tonga duas vezes em poucos dias, Winston causou danos significativos no norte de Tonga. Aproximadamente 2.500 as pessoas buscaram refúgio em abrigos. A primeira passagem da tempestade resultou principalmente em danos às plantações, enquanto a segunda trouxe maiores danos estruturais. Pelo menos 10 casas foram destruídas e outras 200 danificadas.[101] A agricultura sofreu danos significativos, com 85-95 por cento da safra de banana e a maior parte da safra de baunilha em Vava'u perderam.[102] Winston também afetou Niue em 16 de fevereiro; o FMS também emitiu avisos de ciclones tropicais e de fortes ondas de vento para a nação-ilha.[103]
A nação de Tonga também recebeu dinheiro e ajuda, bem como suprimentos médicos da Nova Zelândia, que também forneceu água potável para 8.000 pessoas.[104] A Austrália também forneceu assistência a Tonga, incluindo a distribuição de A $ 300.000 em suprimentos humanitários por meio da Cruz Vermelha de Tonga, duas aeronaves de vigilância e avaliação e dois especialistas em gestão de desastres do Corpo Civil Australiano para ajudar nos esforços de socorro.[105]
Grandes ondulações - até 4–6 m (13–20 ft) de altura[106] —dos remanescentes de Winston afetaram o sul de Queensland, Austrália. As praias de Gold Coast e Sunshine Coast foram fechadas nos dias 26 e 27 de fevereiro devido a condições perigosas.[107] Pelo menos 15 pessoas sofreram ferimentos, desde ombros deslocados até pernas quebradas, devido às condições difíceis.[108] Um bodyboarder foi dado como desaparecido perto de Tallebudgera; uma busca por helicóptero não conseguiu localizar ninguém e a busca foi cancelada até que o relatório de pessoa desaparecida foi arquivado.[109] Fortes tempestades em 29 de fevereiro associado às faixas externas dos remanescentes de Winston trouxe chuvas pesadas localmente para partes de Queensland. 106 mm (4.2 in) de chuva caiu em Garbutt, enquanto 80 mm (3.1 in) de chuva foi observada em Townsville no espaço de 1 hora.[110] Em 3 de março as fortes chuvas começaram a cair no norte de Queensland quando os restos de Winston chegaram à costa perto de Cairns.[111] As acumulações atingiram 215 mm (8.5 in) na pequena cidade de Feluga.[112]
Consequências
.jpg.webp)
O impacto devastador do ciclone Winston em Fiji deixou dezenas de milhares de desabrigados e gerou uma importante resposta humanitária internacional. Cerca de 350.000 pessoas (40 por cento da população do país) foram moderada ou severamente afetados pela tempestade, incluindo 120.000 crianças. Aproximadamente 250.000 as pessoas necessitaram de água, saneamento e assistência de higiene (WASH) devido a cortes de energia e infraestruturas danificadas.[113] Até a noite de 26 de fevereiro, aproximadamente 62.000 as pessoas foram abrigadas em centros de evacuação em todo o país, principalmente na Divisão Ocidental.[114][115] Este número caiu constantemente para 29.237 até 4 de março, embora outros milhares tenham ficado com parentes. Os governos da Austrália, França e Nova Zelândia responderam rapidamente com um esforço de socorro em grande escala poucos dias após a passagem da tempestade. Várias outras nações forneceram doações, suprimentos e fundos, assim como várias organizações internacionais.[113]
Local
Todas as escolas de Fiji suspenderam as aulas por pelo menos uma semana, duas semanas para aqueles nas áreas mais afetadas por causa dos graves danos à infraestrutura educacional.[116][117] Centenas de escolas retomaram as atividades em 29 de fevereiro.[118] Todos menos 23 escolas retomaram as aulas em 8 de março em todo o país.[119] Em Labasa, duas pessoas foram detidas por violar o toque de recolher e outras foram repreendidas.[120] O principal aeroporto que serve o país, o Aeroporto Internacional de Nadi, foi fechado como resultado do ciclone. Foi reaberto dois dias depois da tempestade para permitir que os suprimentos humanitários fossem recebidos e os turistas saíssem.[121] O governo do país enviou dois navios para a Ilha de Koro com equipes de avaliação e suprimentos de emergência.[122] A cidade de Rakiraki foi fechada para viajar às 7:30 sou hora local em 23 de fevereiro para permitir que as equipes removam os destroços das estradas.[123]

A Autoridade de Eletricidade de Fiji estimou que levaria três semanas para restaurar o serviço para a maior parte da Divisão Ocidental.[124] Digicel montou estações de carregamento de bateria em Suva no dia 22 de fevereiro.[125] A empresa restaurou rapidamente o serviço telefónico para as ilhas principais dois dias após a tempestade.[126] A disseminação de criadouros de mosquitos provocada pela tempestade levou ao aumento dos casos de dengue, com 131 incidentes relatados após a passagem de Winston.[127] Em última análise, nenhum surto em grande escala resultou da tempestade.[113] Os preços dos vegetais registaram aumentos acentuados no preço, em alguns casos de 500 por cento, seguindo Winston.[128]
Em 22 Em fevereiro, o primeiro-ministro Frank Bainimarama criou um fundo de ajuda para desastres e solicitou doações.[129] Fiji Airways forneceu FJ $ 1 milhões (US $ 465.000),[130] MWH Global doou FJ$ 100.000,[131] varejista Jack's de Fiji doou FJ$ 100.000 (US$ 50.000) e uma quantidade igual de roupas.[132] A Digicel prometeu FJ$ 150.000 (US$ 70.000) em 27 de fevereiro e forneceu outro FJ$ 50.000 (US $ 23.000) para o Escritório Nacional de Gestão de Desastres.[133] Três bandas musicais da Ilha Koro - Voqa Ni Delai Dokidoki, Malumu Ni Tobu e Savu Ni Delai Lomai - realizaram um show beneficente em Suva no dia 29 de fevereiro, com todas as doações a serem doadas ao Fundo de Alívio e Reabilitação do Primeiro Ministro de Fiji.[134] No âmbito do Esquema de Benefícios à Pobreza do Bem-Estar Social e do Auxílio para Cuidados e Proteção, o Governo de Fiji alocou FJ $ 19,9 milhões (US $ 9,42 milhões) para 43.624 famílias.[135]
Nas três semanas após o Winston, a Empower Pacific forneceu aproximadamente 7.000 pessoas com apoio psicológico e aconselhamento.[136]
Em 9 de abril, o primeiro-ministro Bainimarama revelou um FJ $ 70 milhões (US $ 34 milhões) de iniciativa de reconstrução de moradias chamada "Help for Homes" voltada para famílias de baixa renda - com renda familiar anual inferior a FJ $ 50.000 (US$ 24.000) - que não podiam arcar com os custos de reparo.[137]
Internacional

O Governo da China forneceu US$ 100.000 em 23 de fevereiro,[138] e mais US$ 1 milhão em 4 de março.[139] A Índia forneceu US $ 1 milhão como assistência imediata e também implantou um C-17 Globemaster III carregando 40 toneladas de ajuda.[140][141] Outros US $ 300.000 foram fornecidos pelo Then India Sanmarga Ikya Sangam, dos quais US $ 25.000 foram doados para o Fundo de Alívio de Desastres do Primeiro Ministro de Fiji.[142] O Governo da Coreia do Sul forneceu FJ$ 107.000 (US $ 50.000) e a GIMCO Korea Ltd. doou FJ $ 50.000 (US $ 23.000).[143][144] O Banco Asiático de Desenvolvimento forneceu US $ 2 milhões em assistência.[145] A União Europeia forneceu FJ $ 10 milhões (US $ 4,6 milhões) através da Comunidade do Pacífico para uma resposta de curto prazo.[146] Vanuatu doou 10 milhões de vatu (US $ 90.000).[147] Indonésia prometeu FJ$ 10,38 milhões (US$ 5 milhões) e financiaria a reconstrução da Queen Victoria School, uma das muitas escolas destruídas pela tempestade.[148] Outros envolvidos na assistência humanitária de uma forma ou de outra incluem Cingapura, Estados Unidos, Japão e Nauru.[149]
Em 21 de fevereiro, membros das Sociedades da Cruz Vermelha Internacional e do Crescente Vermelho (IFRC) iniciaram pesquisas terrestres para determinar as necessidades de emergência. Eles também forneceram suprimentos aos moradores de comunidades pobres e abrigos.[150] O capítulo da Cruz Vermelha em Fiji lançou um apelo nacional por doações e suprimentos em 22 de fevereiro.[151] A IFRC liberou CHF 317.469 de seu Fundo de Emergência para Alívio de Desastres para apoiar a Cruz Vermelha de Fiji e 5.000 pessoas que precisam de ajuda imediata.[152] Equipas de socorro de instituições de caridade e organizações não governamentais, incluindo AmeriCares, Caritas International, MapAction e ShelterBox, foram enviadas para Fiji para ajudar nos esforços de recuperação um dia após a tempestade.[153] ShelterBox comprometeu mais de £ 1 milhões (US$ 1,4 milhões) aos esforços de socorro.[154] A Organização Internacional para as Migrações alocou US$ 200.000 em fundos imediatos em 22 de fevereiro.[155] A Oxfam colocou membros em todo o Pacífico Sudoeste em espera para implantação.[156] Direct Relief forneceu 15,000 lb (6,800 kg) de suprimentos médicos para hospitais em Fiji.[157]
A FICV lançou um apelo de emergência para a nação no dia 29 de fevereiro buscando CHF 7 milhões para beneficiar 38.500 pessoas por um período de 12 meses.[152] O Escritório das Nações Unidas para a Coordenação de Assuntos Humanitários (UNOCHA) lançou um apelo de US$ 38,6 milhões - incluindo US$ 7,1 milhões para projetos do UNICEF[113] - em 4 de março. Doações internacionais de itens e assistência técnica chegaram a US $ 22 milhões e as doações em dinheiro totalizaram US $ 9 milhões até esta data. Stephen O'Brien, chefe do UNOCHA, liberou US $ 8 milhões do Fundo Central de Resposta a Emergências da ONU.[89] Materiais WASH foram distribuídos para 26.125 pessoas nesta data.
Acordo FRANZ

De acordo com o acordo FRANZ, Austrália, França e Nova Zelândia coordenaram esforços de socorro para ajudar Fiji.[158] Em 21 de fevereiro, o governo da Nova Zelândia reservou um valor inicial de NZ$ 50.000 (US$ 34.000) para o Alto Comissariado da República das Ilhas Fiji para a Nova Zelândia em preparação para os esforços de socorro, além de NZ $ 170.000 (US $ 114.000) em suprimentos de socorro. O RNZAF implantou um Lockheed P-3 Orion, C-130 Hercules e um Boeing 757 com uma equipe de engenheiros do Exército da Nova Zelândia e bombeiros com uma equipe especializada em SAR. Navios da RNZN transportando dois helicópteros NH-90 da força aérea destacados para Fiji para ajudar nos esforços de socorro. O RNZAF P-3 Orion foi enviado imediatamente para a área para ajudar na vigilância aérea e avaliações da situação dos danos em Fiji.[159] O Ministro das Relações Exteriores da Nova Zelândia , Murray McCully, visitou Fiji em 29 de fevereiro e descreveu os danos como "um mar sem fim de quedas [de aviões]".[160] A ajuda total foi aumentada para NZ $ 4,7 milhões (US $ 3,1 milhões) em 1 de março, incluindo um aumento de NZ $ 1,5 milhões (US $ 1 milhões) imediatamente após a visita de McCully.[161] HMNZSWellington chegou a Vanua Balavu com 60 toneladas de ajuda em 29 de fevereiro, nove dias depois de Winston atingir a ilha. O maior HMNZSCanterbury chegou à ilha vários dias depois,[162] trazendo 270 pessoal NZDF e 106 toneladas de suprimentos. A tripulação do Canterbury foi posteriormente elogiada pelos residentes de Vanua Balavu pelo seu trabalho de reabilitação.[163]
A Austrália forneceu um pacote de ajuda imediata no valor de A$ 5 milhões (US $ 3,6 milhões) em 22 de fevereiro,[164] que aumentou para A $ 33,7 milhões (US$ 26,1 milhões) por 21 Abril[165] HMASCanberra, carregando três helicópteros e 60 toneladas de ajuda, chegou em 1 de março.[166] Quarenta membros da Real Força Aérea Australiana foram destacados para Nausori em 27 de fevereiro, e vinte e duas equipas médicas foram enviadas em outras ocasiões.[167] Mais de 200 o pessoal das Forças de Defesa da Austrália ajudou nos esforços de recuperação em Fiji por dois meses antes de voltar para casa em abril.[69] A França implantou duas aeronaves CASA / IPTN CN-235 da Nova Caledónia, carregadas com suprimentos de emergência; eles voaram ao longo das rotas de abastecimento para Taveuni e Vanua Levu.[168] Em 9 de março, o barco-patrulha francês La Moqueuse chegou a Suva com 2 toneladas de suprimentos - abrigos e kits de higiene - e 14 engenheiros. O Governo da Nova Caledónia prometeu FJ$ 300.000 (US $ 142.000) em apoio ao UNICEF e a Província do Sul do território prometeu FJ $ 400.000 (US $ 189.000) para apoiar a educação.[169]
Nome retirado
Durante novembro de 2016, a OMM retirou o nome Winston devido aos extensos danos da tempestade nas ilhas do Pacífico Sul e foi posteriormente substituído pelo nome Wanita. [170]
Ver também
- Ciclone Mahina - O ciclone tropical mais intenso registado no hemisfério sul
- Ciclone Pam
- Ciclone Daman
- Ciclone Harold - um ciclone forte em 2020 e o ciclone mais forte a impactar Fiji como um ciclone tropical severo de categoria 5 desde Winston.
Referências
- Diamond, Howard (5 de julho de 2017). «Southwest Pacific Enhanced Archive for Tropical Cyclones (SPEArTC)». Consultado em 6 de julho de 2017
- Kerr, Jack (26 de dezembro de 2014). «Tropical Cyclone Mahina: Bid to have deadly March 1899 weather event upgraded in record books». Australian Broadcasting Corporation. Consultado em 6 de março de 2015. Cópia arquivada em 2 de abril de 2015
- Masters, Jeff; Henson, Bob. «Winston's Damage Highest in South Pacific History; Extreme February Warmth in Eurasia». Consultado em 10 de fevereiro de 2018
- Angela Fritz (19 de fevereiro de 2016). «Catastrophic Cyclone Winston bears down on Fiji's main island in worst case scenario». The Washington Post. Consultado em 19 de fevereiro de 2016
- Jeff Masters (17 de dezembro de 2012). «A grinch in paradise: Category 4 Tropical Cyclone Evan slams Fiji». Weather Underground. Consultado em 19 de fevereiro de 2016
- «Fiji Government focuses on collecting information from cyclone hit areas». Pacific Islands News Association. Fiji Broadcast Corporation. 23 de fevereiro de 2016. Consultado em 11 de março de 2016
- Tropical Disturbance Summary for Area Equator to 25S, 160E to 120W (Relatório). Fiji Meteorological Service. 7 de fevereiro de 2016. Consultado em 19 de fevereiro de 2016. Cópia arquivada em 10 de fevereiro de 2016
- Significant Tropical Weather Advisory for the Western and South Pacific Oceans (Relatório). Joint Typhoon Warning Center. 10 de fevereiro de 2016. Consultado em 19 de fevereiro de 2016. Cópia arquivada em 10 de fevereiro de 2016
- Tropical Cyclone 11P (Eleven) Warning Nr 001 (Relatório). Joint Typhoon Warning Center. 10 de fevereiro de 2016. Consultado em 19 de fevereiro de 2016. Cópia arquivada em 10 de fevereiro de 2016
- Tropical Disturbance Advisory Number A4 (Advisory). Fiji Meteorological Service. 11 de fevereiro de 2016. Consultado em 19 de fevereiro de 2016. Cópia arquivada em 11 de fevereiro de 2016
- Tropical Disturbance Advisory Number A6 (Advisory). Fiji Meteorological Service. 11 de fevereiro de 2016. Consultado em 19 de fevereiro de 2016. Cópia arquivada em 11 de fevereiro de 2016
- Tropical Cyclone 11P (Winston) Warning Nr 003 (Relatório). Joint Typhoon Warning Center. 11 de fevereiro de 2016. Consultado em 19 de fevereiro de 2016. Cópia arquivada em 11 de fevereiro de 2016
- Tropical Cyclone 11P (Winston) Warning Nr 005 (Relatório). Joint Typhoon Warning Center. Consultado em 19 de fevereiro de 2016. Cópia arquivada em 12 de fevereiro de 2016
- Tropical Disturbance Advisory Number A9 (Advisory). Fiji Meteorological Service. 12 de fevereiro de 2016. Consultado em 19 de fevereiro de 2016. Cópia arquivada em 12 de fevereiro de 2016
- Tropical Disturbance Advisory Number A10 (Advisory). Fiji Meteorological Service. 12 de fevereiro de 2016. Consultado em 19 de fevereiro de 2016. Cópia arquivada em 12 de fevereiro de 2016
- Tropical Disturbance Advisory Number A11 (Advisory). Fiji Meteorological Service. 12 de fevereiro de 2016. Consultado em 19 de fevereiro de 2016. Cópia arquivada em 14 de fevereiro de 2016
- «Tropical Cyclone 11P (Winston) Rolling Best Track» (.TXT). Joint Typhoon Warning Center. US Naval Research Laboratory, Marine Meteorology. 20 de fevereiro de 2016. Consultado em 20 de fevereiro de 2016
- Tropical Cyclone 11P (Winston) Warning NR 007 (Relatório). Joint Typhoon Warning Center. 13 de fevereiro de 2016. Consultado em 20 de fevereiro de 2016. Cópia arquivada em 14 de fevereiro de 2016
- Tropical Cyclone 11P (Winston) Warning NR 008 (Relatório). Joint Typhoon Warning Center. 14 de fevereiro de 2016. Consultado em 20 de fevereiro de 2016. Cópia arquivada em 14 de fevereiro de 2016
- Tropical Disturbance Advisory Number A19 (Advisory). Fiji Meteorological Service. 15 de fevereiro de 2016. Consultado em 20 de fevereiro de 2016. Cópia arquivada em 17 de fevereiro de 2016
- Tropical Cyclone 11P (Winston) Warning NR 013 (Relatório). Joint Typhoon Warning Center. 16 de fevereiro de 2016. Consultado em 20 de fevereiro de 2016. Cópia arquivada em 17 de fevereiro de 2016
- Tropical Cyclone 11P (Winston) Warning NR 014 (Relatório). Joint Typhoon Warning Center. 16 de fevereiro de 2016. Consultado em 20 de fevereiro de 2016. Cópia arquivada em 17 de fevereiro de 2016
- Tropical Disturbance Advisory Number A26 (Advisory). Fiji Meteorological Service. 16 de fevereiro de 2016. Consultado em 20 de fevereiro de 2016. Cópia arquivada em 17 de fevereiro de 2016
- Tropical Cyclone 11P (Winston) Warning NR 016 (Relatório). Joint Typhoon Warning Center. 17 de fevereiro de 2016. Consultado em 20 de fevereiro de 2016. Cópia arquivada em 17 de fevereiro de 2016
- Tropical Cyclone 11P (Winston) Warning NR 017 (Relatório). Joint Typhoon Warning Center. 17 de fevereiro de 2016. Consultado em 20 de fevereiro de 2016. Cópia arquivada em 17 de fevereiro de 2016
- Tropical Cyclone 11P (Winston) Warning NR 018 (Relatório). Joint Typhoon Warning Center. 17 de fevereiro de 2016. Consultado em 20 de fevereiro de 2016. Cópia arquivada em 17 de fevereiro de 2016
- Tropical Disturbance Advisory Number A30 (Advisory). Fiji Meteorological Service. 17 de fevereiro de 2016. Consultado em 20 de fevereiro de 2016. Cópia arquivada em 18 de fevereiro de 2016
- Tropical Cyclone 11P (Winston) Warning NR 020 (Relatório). Joint Typhoon Warning Center. 18 de fevereiro de 2016. Consultado em 20 de fevereiro de 2016. Cópia arquivada em 18 de fevereiro de 2016
- Tropical Cyclone 11P (Winston) Warning NR 021 (Relatório). Joint Typhoon Warning Center. 18 de fevereiro de 2016. Consultado em 20 de fevereiro de 2016. Cópia arquivada em 18 de fevereiro de 2016
- Tropical Cyclone 11P (Winston) Warning NR 022 (Relatório). Joint Typhoon Warning Center. 18 de fevereiro de 2016. Consultado em 20 de fevereiro de 2016. Cópia arquivada em 18 de fevereiro de 2016
- Tropical Cyclone 11P (Winston) Warning NR 022 (Relatório). Joint Typhoon Warning Center. 18 de fevereiro de 2016. Consultado em 20 de fevereiro de 2016. Cópia arquivada em 20 de fevereiro de 2016
- Jeff Masters and Bob Henson (19 de fevereiro de 2016). «Fiji Pounded by its First Category 5 Storm on Record: Tropical Cyclone Winston». Weather Underground. Consultado em 20 de fevereiro de 2016
- Tropical Cyclone 11P (Winston) Warning NR 024 (Relatório). Joint Typhoon Warning Center. 19 de fevereiro de 2016. Consultado em 20 de fevereiro de 2016. Cópia arquivada em 20 de fevereiro de 2016
- Tropical Disturbance Advisory Number A37 (Advisory). Fiji Meteorological Service. 19 de fevereiro de 2016. Consultado em 20 de fevereiro de 2016. Cópia arquivada em 20 de fevereiro de 2016
- Tropical Cyclone 11P (Winston) Warning NR 027 (Relatório). Joint Typhoon Warning Center. 19 de fevereiro de 2016. Consultado em 20 de fevereiro de 2016. Cópia arquivada em 20 de fevereiro de 2016
- «Severe Tropical Cyclone Winston» (PDF). Fiji Meteorological Service. Fiji Climate Summary. 37: 10–11. 8 de março de 2016. Consultado em 10 de março de 2016. Cópia arquivada (PDF) em 8 de março de 2016
- Tropical Disturbance Advisory Number A42 (Advisory). Fiji Meteorological Service. 20 de fevereiro de 2016. Consultado em 20 de fevereiro de 2016. Cópia arquivada em 20 de fevereiro de 2016
- Tropical Cyclone 11P (Winston) Warning NR 029 (Relatório). Joint Typhoon Warning Center. 20 de fevereiro de 2016. Consultado em 1 de março de 2016. Cópia arquivada em 21 de fevereiro de 2016
- Jon Erdman (20 de fevereiro de 2016). «Tropical Cyclone Winston Makes Category 5 Landfall; Strongest on Record in Fiji». The Weather Channel. Consultado em 20 de fevereiro de 2016
- «Winston leaves trail of destruction». Radio New Zealand. 20 de fevereiro de 2016. Consultado em 20 de fevereiro de 2016
- Losalini Bolatagici (20 de fevereiro de 2016). «Winston the strongest, first Category 5 cyclone to hit Fiji». Fiji Times. Consultado em 20 de fevereiro de 2016. Cópia arquivada em 22 de fevereiro de 2016
- Yulsman, Tom. «How Winston became Earth's strongest Southern Hemisphere storm in recorded history». Discover. Consultado em 23 de abril de 2016
- Tropical Cyclone 11P (Winston) Warning NR 030 (Relatório). Joint Typhoon Warning Center. 20 de fevereiro de 2016. Consultado em 4 de março de 2016. Cópia arquivada em 21 de fevereiro de 2016
- Tropical Disturbance Advisory Number A46 (Advisory). Fiji Meteorological Service. 21 de fevereiro de 2016. Consultado em 4 de março de 2016. Cópia arquivada em 21 de fevereiro de 2016
- Tropical Cyclone 11P (Winston) Warning NR 034 (Relatório). Joint Typhoon Warning Center. 21 de fevereiro de 2016. Consultado em 4 de março de 2016. Cópia arquivada em 21 de fevereiro de 2016
- Tropical Cyclone 11P (Winston) Warning NR 037 (Relatório). Joint Typhoon Warning Center. 22 de fevereiro de 2016. Consultado em 4 de março de 2016. Cópia arquivada em 22 de fevereiro de 2016
- Tropical Disturbance Advisory Number A55 (Advisory). Fiji Meteorological Service. 23 de fevereiro de 2016. Consultado em 4 de março de 2016. Cópia arquivada em 23 de fevereiro de 2016
- Tropical Cyclone 11P (Winston) Warning NR 043 (Relatório). Joint Typhoon Warning Center. 23 de fevereiro de 2016. Consultado em 4 de março de 2016. Cópia arquivada em 24 de fevereiro de 2016
- Gale Warning 376 (Relatório). MetService. 24 de fevereiro de 2016. Consultado em 4 de março de 2016. Cópia arquivada em 24 de fevereiro de 2016
- Tropical Cyclone 11P (Winston) Warning NR 047 (Relatório). Joint Typhoon Warning Center. 24 de fevereiro de 2016. Consultado em 4 de março de 2016. Cópia arquivada em 4 de março de 2016
- Gale Warning 383 CCA (Relatório). MetService. 25 de fevereiro de 2016. Consultado em 4 de março de 2016. Cópia arquivada em 25 de fevereiro de 2016
- «Significant Tropical Weather Advisory for the Western and South Pacific Oceans Reissued 252330Z-260600Z Feb 2016». Joint Typhoon Warning Center. 25 de fevereiro de 2016. Consultado em 4 de março de 2016. Cópia arquivada em 4 de março de 2016
- «Significant Tropical Weather Advisory for the Western and South Pacific Oceans Reissued 260600Z-270600Z Feb 2016». Joint Typhoon Warning Center. 26 de fevereiro de 2016. Consultado em 4 de março de 2016. Cópia arquivada em 4 de março de 2016
- «Tropical Cyclone Outlook for Coral Sea». Australian Bureau of Meteorology. 27 de fevereiro de 2016. Consultado em 4 de março de 2016. Cópia arquivada em 4 de março de 2016
- «Significant Tropical Weather Advisory for the Western and South Pacific Oceans Reissued 270600Z-280600Z Feb 2016». Joint Typhoon Warning Center. 27 de fevereiro de 2016. Consultado em 4 de março de 2016. Cópia arquivada em 4 de março de 2016
- «Significant Tropical Weather Advisory for the Western and South Pacific Oceans Reissued 280600Z-290600Z Feb 2016». Joint Typhoon Warning Center. 28 de fevereiro de 2016. Consultado em 4 de março de 2016. Cópia arquivada em 4 de março de 2016
- «Latest Colour Mean Sea-Level Pressure Analysis at 1200 UTC 03 Mar 2016» (PNG). Australian Bureau of Meteorology. 3 de março de 2016. Consultado em 4 de março de 2016. Cópia arquivada em 4 de março de 2016
- «Heavy rain, storms expected across from Ex-cyclone Winston». Cairns, Queensland: The Cairns Post. 3 de março de 2016. Consultado em 4 de março de 2016
- «Severe Weather Warning for Heavy Rainfall». Australian Bureau of Meteorology. 3 de março de 2016. Consultado em 4 de março de 2016. Cópia arquivada em 3 de março de 2016
- «Latest Colour Mean Sea-Level Pressure Analysis at 1800 UTC 03 Mar 2016» (PNG). Australian Bureau of Meteorology. 3 de março de 2016. Consultado em 4 de março de 2016. Cópia arquivada em 4 de março de 2016
- Special Weather Bulletin Number One for Fiji On Severe Tropical Cyclone Winston (Relatório). Fiji Meteorological Service. 14 de fevereiro de 2016. Consultado em 20 de fevereiro de 2016. Cópia arquivada em 14 de fevereiro de 2016
- Special Weather Bulletin Number Seven for Fiji On Severe Tropical Cyclone Winston (Relatório). Fiji Meteorological Service. 15 de fevereiro de 2016. Consultado em 20 de fevereiro de 2016. Cópia arquivada em 15 de fevereiro de 2016
- Special Weather Bulletin Number Fifteen for Fiji On Severe Tropical Cyclone Winston (Relatório). Fiji Meteorological Service. 16 de fevereiro de 2016. Consultado em 20 de fevereiro de 2016. Cópia arquivada em 17 de fevereiro de 2016
- Special Weather Bulletin Number Sixteen for Fiji On Severe Tropical Cyclone Winston (Relatório). Fiji Meteorological Service. 18 de fevereiro de 2016. Consultado em 20 de fevereiro de 2016. Cópia arquivada em 18 de fevereiro de 2016
- Special Weather Bulletin Number Twenty-Four for Fiji On Severe Tropical Cyclone Winston (Relatório). Fiji Meteorological Service. 19 de fevereiro de 2016. Consultado em 20 de fevereiro de 2016. Cópia arquivada em 20 de fevereiro de 2016
- Savaira Tabua (19 de fevereiro de 2016). «Evacuation centres activated in upper Lau group». Fiji Broadcasting Corporation. Consultado em 19 de fevereiro de 2016
- Akosita Talei (19 de fevereiro de 2016). «RFMF on standby for TC Winston». Fiji Broadcasting Corporation. Consultado em 19 de fevereiro de 2016
- Nasik Swami (20 de fevereiro de 2016). «Fiji declares State of Natural Disaster». Fiji Times. Consultado em 20 de fevereiro de 2016. Cópia arquivada em 22 de fevereiro de 2016
- «State of Natural disaster in Fiji lifted». The Pacific Islands News Association. ReliefWeb. 19 de abril de 2016. Consultado em 21 de abril de 2016
- Indra Singh (20 de fevereiro de 2016). «Nationwide Curfew as TC Winston batters Fiji group». Fiji Times. Consultado em 20 de fevereiro de 2016
- Nadia Khomami (21 de fevereiro de 2016). «Cyclone Winston: Fiji counts deaths and damage from giant storm». The Guardian. Consultado em 21 de fevereiro de 2016
- Elenoa Turagaiviu (21 de fevereiro de 2016). «Restoration of essential services is a priority». Fiji Broadcast Corporation. Consultado em 21 de fevereiro de 2016. Cópia arquivada em 28 de julho de 2018
- Luke Rawalai (20 de fevereiro de 2016). «TC Winston: Telecommunications to Taveuni cut». Fiji Times. Consultado em 20 de fevereiro de 2016. Cópia arquivada em 22 de fevereiro de 2016
- Aliki Bia (20 de fevereiro de 2016). «No links to some islands in Lau Group». Fiji Broadcasting Corporation. Consultado em 20 de fevereiro de 2016
- Losalini Bolatagici (22 de fevereiro de 2016). «Communication to Vanuabalavu cut-off». Fiji Times. Consultado em 22 de fevereiro de 2016
- Tokasa Rainima (20 de fevereiro de 2016). «Matuku prepares for bad weather». Fiji Broadcasting Corporation. Consultado em 20 de fevereiro de 2016
- «TC Winston death toll stands at 44». FBC TV. 11 de março de 2016. Consultado em 12 de março de 2016
- Fiji: Severe Tropical Cyclone Winston Situation Report No. 7 (as of 27 February 2016) (PDF). United Nations Office for the Coordination of Humanitarian Affairs (Relatório). ReliefWeb. 27 de fevereiro de 2016. Consultado em 27 de fevereiro de 2016
- Losalini Bolatagici (25 de fevereiro de 2016). «44 now confirmed dead». Fiji Times. Consultado em 25 de fevereiro de 2016. Cópia arquivada em 5 de março de 2016
- Losalini Bolatagici (29 de fevereiro de 2016). «TC Winston death toll rises to 43». Fiji Times. Consultado em 29 de fevereiro de 2016. Cópia arquivada em 7 de março de 2016
- 2007 Census of Population and Housing (Relatório). Fiji Bureau of Statistics. 2007. Consultado em 28 de fevereiro de 2016
- Fiji: Severe Tropical Cyclone Winston Situation Report No. 8 (as of 28 February 2016) (PDF). United Nations Office for the Coordination of Humanitarian Affairs (Relatório). ReliefWeb. 28 de fevereiro de 2016. Consultado em 28 de fevereiro de 2016
- Fiji: Severe Tropical Cyclone Winston Situation Report No. 11 (as of 3 March 2016) (PDF) (Situation Report). ReliefWeb. 3 de março de 2016. Consultado em 3 de março de 2016
- Savaira Tabua (20 de fevereiro de 2016). «Teachers quarters blown away». Fiji Broadcasting Corporation. Consultado em 20 de fevereiro de 2016
- National Emergency Operation Center: Tropical Cyclone Winston Situation Report 53 of 04/03/2016 (PDF) (Situation Report). ReliefWeb. 7 de março de 2016. Consultado em 7 de março de 2016
- Talebula Kate (21 de fevereiro de 2016). «All houses destroyed in island village». Fiji Times. Consultado em 21 de fevereiro de 2016
- Farzana Nisha (20 de fevereiro de 2016). «Death of an elderly man confirmed». Fiji Broadcasting Corporation. Consultado em 20 de fevereiro de 2016
- Tokasa Rainima (21 de fevereiro de 2016). «12 villagers injured in Nabuna, Koro». Fiji Broadcast Corporation. Consultado em 21 de fevereiro de 2016. Cópia arquivada em 22 de fevereiro de 2016
- «After Tropical Cyclone Winston: Fiji Humanitarian Appeal requests $38.6 million to help restore the Island nation» (PDF) (Nota de imprensa). Geneva, Switzerland: ReliefWeb. United Nations Office for the Coordination of Humanitarian Affairs. 4 de março de 2016. Consultado em 4 de março de 2016
- Ellen Stolz (20 de fevereiro de 2016). «Ovalau experiencing destructive winds». Fiji Broadcasting Corporation. Consultado em 20 de fevereiro de 2016
- «Cyclone Winston survey sets new baseline for damage data». Pacific Community. ReliefWeb. 1 de abril de 2016. Consultado em 6 de abril de 2016
- Elenoa Turagaiviu (23 de fevereiro de 2016). «Taveuni jetties totally damaged». Fiji Broadcast Corporation. Consultado em 23 de fevereiro de 2016. Cópia arquivada em 24 de fevereiro de 2016
- «Communications still down in parts of Fiji». Radio New Zealand. ReliefWeb. 1 de março de 2016. Consultado em 1 de março de 2016
- Nasik Swami (20 de fevereiro de 2016). «Two houses blown away in Nausori». Fiji Times. Consultado em 20 de fevereiro de 2016. Cópia arquivada em 22 de fevereiro de 2016
- Margaret Wise (22 de fevereiro de 2016). «Times team crosses damaged bridge». Fiji Times. Consultado em 22 de fevereiro de 2016
- Repeka Nasiko (22 de fevereiro de 2016). «Rakiraki Town shut down». Fiji Times. Consultado em 22 de fevereiro de 2016
- Tuilevuka, Nacanieli (24 de maio de 2016). «$2.98 billion damage caused by TC Winston». Newswire. Consultado em 25 de maio de 2016. Cópia arquivada em 17 de junho de 2016
- Tevita Vuibau (11 de março de 2016). «$9.6m worth of food rations distributed». Fiji Times. Consultado em 11 de março de 2016
- «Fiji : Severe Tropical Cyclone Winston Situation Report No. 17 (as of 15 March 2016 )» (PDF). OCHA. Consultado em 15 de março de 2016
- «HON PM BAINIMARAMA SPEECH AT THE OPENING LEADERS DIALOGUE OF THE UN WORLD HUMANITARIAN SUMMIT, TURKEY». The Fijian Government. Consultado em 24 de maio de 2016
- «Despite some damage, Tonga escapes the worst of Winston». Fiji Times. Radio New Zealand International. 20 de fevereiro de 2016. Consultado em 20 de fevereiro de 2016. Cópia arquivada em 22 de fevereiro de 2016
- Stephanie Corsetti (25 de fevereiro de 2016). «Cyclone Winston damages hopes for Tongan vanilla crop». Australian Broadcasting Corporation. Consultado em 28 de fevereiro de 2016
- https://www.webcitation.org/6fMzj4znk?url=http://gwydir.demon.co.uk/advisories/WWNE40-NFFN_201602161500.htm
- «5 Things to Know About Tropical Cyclone Winston». The Weather Channel. Consultado em 20 de fevereiro de 2016
- «Tropical Cyclone Winston». Government of Australia. Department of Foreign Affairs and Trade. 20 de fevereiro de 2016. Consultado em 21 de fevereiro de 2016. Cópia arquivada em 21 de fevereiro de 2016
- Melissa Grant (27 de fevereiro de 2016). «Winston closes south Qld beaches». Australian Associated Press. news.com.au. Consultado em 28 de fevereiro de 2016
- Lisa Yallamas (27 de fevereiro de 2016). «South-east Queensland beaches closed again Sunday». Brisbane Times. Consultado em 28 de fevereiro de 2016
- «Surfers lap up massive swells that forced closure of Gold and Sunshine Coast beaches». Nine News. 27 de fevereiro de 2016. Consultado em 28 de fevereiro de 2016
- Matt Watson and Kym Agius (27 de fevereiro de 2016). «Dangerous surf from ex-Cyclone Winston closes southern Queensland beaches». Australian Broadcasting Corporation. Consultado em 28 de fevereiro de 2016
- Sarah Motherwell (29 de fevereiro de 2016). «Queensland town drenched by heavy rainfall». The Courier Mail. Consultado em 2 de março de 2016
- «Far north Queensland coast braces for ex-Tropical Cyclone Winston, could bring up to 300mm of rain». Australian Broadcasting Corporation. 3 de março de 2016. Consultado em 3 de março de 2016
- Mark Rigby (3 de março de 2016). «Far north Queensland coast embraces long awaited rainfall as ex-TC Winston makes landfall». Australia Broadcasting Corporation. Consultado em 4 de março de 2016
- UNICEF Pacific Cyclone Winston Humanitarian Situation Report #6 (PDF) (Relatório). ReliefWeb. 4 de março de 2016. Consultado em 5 de março de 2016
- Shayal Devi (25 de fevereiro de 2016). «19,294 in evac centres». Fiji Times. Consultado em 25 de fevereiro de 2016[ligação inativa]
- Losalini Bolatagici (26 de fevereiro de 2016). «62,000 in evacuation centres». Fiji Times. Consultado em 26 de fevereiro de 2016 [ligação inativa]
- Ritika Pratap (21 de fevereiro de 2016). «Schools to go on one week break». Fiji Broadcast Corporation. Consultado em 21 de fevereiro de 2016. Cópia arquivada em 21 de fevereiro de 2016
- Aliki Bia (22 de fevereiro de 2016). «PM gives rural schools two weeks break». Fiji Broadcast Corporation. Consultado em 22 de fevereiro de 2016
- Siteri Sauvakacolo (29 de fevereiro de 2016). «Schools that will open for classes from today». Fiji Times. Consultado em 29 de fevereiro de 2016
- Losalini Bolatagici (8 de março de 2016). «Damage bill at $348m». Fiji Times. Consultado em 8 de março de 2016
- Elenoa Turagaiviu (21 de fevereiro de 2016). «Two people arrested in Labasa». Fiji Broadcast Corporation. Consultado em 21 de fevereiro de 2016
- «Cyclone Winston: Clean-up begins as death toll jumps to 20». BBC News. Consultado em 22 de fevereiro de 2016
- Fiji: Severe Tropical Cyclone Winston Situation Report No. 1 (as of 22 February 2016) (PDF). United Nations Office for the Coordination of Humanitarian Affairs (Relatório). ReliefWeb. 22 de fevereiro de 2016. Consultado em 22 de fevereiro de 2016
- SB (23 de fevereiro de 2016). «Rakiraki town closed today». Fiji Broadcast Corporation. Consultado em 23 de fevereiro de 2016
- Ellen Stolz (23 de fevereiro de 2016). «Repairs may take three weeks: FEA». Fiji Broadcast Corporation. Consultado em 23 de fevereiro de 2016[ligação inativa]
- Timoci Vula (22 de fevereiro de 2016). «Digicel sets up battery charging centre». Fiji Times. Consultado em 22 de fevereiro de 2016
- Ropate Valemei (22 de fevereiro de 2016). «Digicel restores network in most places». Fiji Times. Consultado em 22 de fevereiro de 2016
- Mere Naleba (25 de fevereiro de 2016). «131 cases of dengue fever». Fiji Times. Consultado em 25 de fevereiro de 2016
- Felix Chaudhary (27 de fevereiro de 2016). «Vegetable prices soar amid crisis». Fiji Times. Consultado em 28 de fevereiro de 2016
- «Fijian Government Establishes Disaster Relief Funds» (Nota de imprensa). Government of Fiji. 22 de fevereiro de 2016. Consultado em 28 de fevereiro de 2016
- «Fiji Airways donates F$1-million to Prime Minister's Relief Fund». KTVN. CBS. Fiji Airways. 25 de fevereiro de 2016. Consultado em 28 de fevereiro de 2016. Cópia arquivada em 7 de março de 2016
- «MWH Global Donates Towards PM's Fund». Fiji Sun. MWH Suva. 24 de fevereiro de 2016. Consultado em 28 de fevereiro de 2016
- Shayal Devi (26 de fevereiro de 2016). «Retail giant pledges $200,000 to PM's relief fund». Fiji Times. Consultado em 28 de fevereiro de 2016. Cópia arquivada em 26 de fevereiro de 2016
- Charlene Lanyon (27 de fevereiro de 2016). «$150k for appeal». Fiji Times. Consultado em 28 de fevereiro de 2016
- Felix Chaudhary (29 de fevereiro de 2016). «Koro musicians to help raise fund in Rise Up Fiji concert». Fiji Times. Consultado em 29 de fevereiro de 2016
- Nasik Swami (9 de março de 2016). «$19.9m aid». Fiji Times. Consultado em 10 de março de 2016
- Shayal Devi (11 de março de 2016). «7000 benefit». Fiji Times. Consultado em 11 de março de 2016
- Elizabeth Rokosuka (9 de abril de 2016). «PM announces $70M Help for Homes initiative». Fiji Village. Consultado em 21 de abril de 2016
- Charlene Lanyon (23 de fevereiro de 2016). «Chinese Government gives $100k». Fiji Times. Consultado em 23 de fevereiro de 2016
- «China adds USD$1million assistance to relief package». ReliefWeb. Government of Fiji. 4 de março de 2016. Consultado em 5 de março de 2016
- «India extends USD 1 Million assistance to cyclone-hit Fiji». India Times. Press Trust of India. 22 de fevereiro de 2016. Consultado em 22 de fevereiro de 2016
- «India to send 40 tonnes of aid to Winston cyclone-hit Fiji». Economic Times of India. Press Trust of India. 25 de fevereiro de 2016. Consultado em 25 de fevereiro de 2016
- Avinesh Gopal (27 de fevereiro de 2016). «TISI Sangam allocates $300,000 for cyclone relief». Fiji Times. Consultado em 28 de fevereiro de 2016
- Losalini Bolatagici (27 de fevereiro de 2016). «$107k contribution for rehabilitation efforts». Fiji Times. Consultado em 28 de fevereiro de 2016
- «Gimco Korea Ltd Gives $50,000 Towards Prime Minister's Disaster Relief Fund». Fiji Sun. DEPTFO News. 27 de fevereiro de 2016. Consultado em 28 de fevereiro de 2016
- Ropate Valemei (27 de fevereiro de 2016). «ADB provides $4m». Fiji Times. Consultado em 28 de fevereiro de 2016
- «EU will provide FJ$10 million through SPC towards recovery and rehabilitation after Cyclone Winston». Pacific Community. ReliefWeb. 29 de fevereiro de 2016. Consultado em 29 de fevereiro de 2016
- «Fiji thanks Vanuatu for relief assistance of (Vatu)10million». ReliefWeb. Government of Fiji. 4 de março de 2016. Consultado em 5 de março de 2016
- Rusiate Baleilevuka and Ana Ravulo (1 de abril de 2016). «Indonesian Defense Force to rebuild QVS». Fiji Village. Consultado em 21 de abril de 2016
- «Singapore giving $141,000 for cyclone relief in Fiji». AsiaOne. Reuters, AFP. Consultado em 26 de fevereiro de 2016
- «Red Cross responds to emergency needs across Fiji in the wake of Cyclone Winston». Suva, Fiji: International Red Cross and Red Crescent Societies. 21 de fevereiro de 2016. Consultado em 22 de fevereiro de 2016
- Charlene Lanyon (22 de fevereiro de 2016). «Red Cross launches appeal». Fiji Times. Consultado em 22 de fevereiro de 2016. Cópia arquivada em 23 de fevereiro de 2016
- Fiji: Tropical Cyclone Winston Emergency Appeal n° MDRFJ001 (PDF). International Red Cross and Red Crescent Societies (Relatório). ReliefWeb. 29 de fevereiro de 2016. Consultado em 1 de março de 2016
- «Emergency Response Team Deployed to Fiji». AmeriCares. ReliefWeb. 21 de fevereiro de 2016. Consultado em 22 de fevereiro de 2016
- «ShelterBox's £1 million response to plea for Fiji 'to get back on its feet' after cyclone devastation». ReliefWeb. ShelterBox. 4 de março de 2016. Consultado em 5 de março de 2016
- «IOM Ready to Assist Following Monster Storm in Fiji». International Organization for Migration. ReliefWeb. 22 de fevereiro de 2016. Consultado em 22 de fevereiro de 2016
- «Fiji Government trying to contact Tropical Cyclone Winston blackspots as death toll rises». Oxfam. ReliefWeb. 22 de fevereiro de 2016. Consultado em 22 de fevereiro de 2016
- «In cyclone's aftermath, 15,000 lbs of emergency medical aid bound for Fiji». Direct Relief. ReliefWeb. 26 de fevereiro de 2016. Consultado em 29 de fevereiro de 2016
- «Fiji – French aid following Hurricane Winston (February 24, 2016)» (Nota de imprensa). French Ministry of Foreign Affairs and International Development. 24 de fevereiro de 2016. Consultado em 28 de fevereiro de 2016
- McCully, Murray (21 de fevereiro de 2016). «NZ sends Orion and releases aid to Fiji». beehive.govt.nz. Government of New Zealand. Consultado em 21 de fevereiro de 2016
- «Government increases aid for Fiji by $1.5 million». Stuff.co.nz. 1 de março de 2016. Consultado em 1 de março de 2016
- «NZ boosts Fiji cyclone aid to $4.7 million». Government of New Zealand. ReliefWeb. 1 de março de 2016. Consultado em 1 de março de 2016
- Siteri Sauvakacolo (29 de fevereiro de 2016). «9 days later, help arrives». Fiji Times. Consultado em 29 de fevereiro de 2016
- Losalini Bolatagici (9 de março de 2016). «NZDF praised for efforts». Fiji Times. Consultado em 10 de março de 2016
- Avinesh Gopal (22 de fevereiro de 2016). «Australia gives $5m assistance package to Fiji». Fiji Times. Consultado em 22 de fevereiro de 2016
- «Aussies Give Another $31 Million». Fiji Sun. 19 de abril de 2016. Consultado em 21 de abril de 2016
- Fiji: Situation Update as of 1 March 2016. World Food Programme, Logistics Cluster (Relatório). ReliefWeb. 1 de março de 2016. Consultado em 1 de março de 2016
- «Additional Humanitarian Support to Fiji». Government of Australia. ReliefWeb. 29 de fevereiro de 2016. Consultado em 29 de fevereiro de 2016
- Timoci Vula (27 de fevereiro de 2016). «French relief supplies, Australian military arrive». Fiji Times. Consultado em 28 de fevereiro de 2016
- Tevita Vuibau (11 de março de 2016). «Boat brings in 2 tonnes of aid». Fiji Times. Consultado em 11 de março de 2016
- RA V Tropical Cyclone Committee (8 de outubro de 2020). Tropical Cyclone Operational Plan for the South-East Indian Ocean and the Southern Pacific Ocean 2020 (Relatório). World Meteorological Organization. pp. I–4–II–9 (9–21). Consultado em 10 de outubro de 2020
Ligações externas
- World Meteorological Organization
- Australian Bureau of Meteorology
- Fiji Meteorological Service
- New Zealand MetService
- Joint Typhoon Warning Center
- ReliefWeb disaster page on Cyclone Winston
Predefinição:Ciclones tropicais severos de categoria 5 no Pacífico Sul
.jpg.webp)

