Furacão Ioke
O furacão Ioke' (também referido com Tufão Ioke foi o ciclone tropical com mais energia ciclônica acumulada (ECA) de qualquer ciclone tropical. Sendo o primeiro sistema tropical e único ciclone a se formar no Pacífico centro-norte da temporada de furacões no Pacífico de 2006, Ioke foi um ciclone tropical de longa duração e extremamente poderoso que quebrou vários recordes. Ioke deslocou-se sobre o Oceano Pacífico por 19 dias, alcançando a força equivalente a um furacão de categoria 5 na escala de furacões de Saffir-Simpson em três ocasiões.
| Furacão/Tufão Ioke | |
| Tufão violento (Escala JMA) | |
|---|---|
| Supertufão categoria 5 (SSHWS) | |
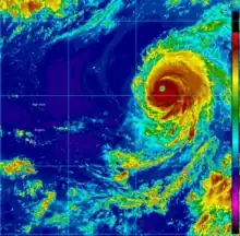
O furacão Ioke no pico de intensidade máxima em 24 de Agosto de 2006 a leste das ilhas do Havaí | |
| Formação | 20 de agosto de 2006 |
| Dissipação | 6 de Setembro de 2006 (Data da transformação de Ioke num ciclone extratropical) 12 de setembro de 2006 (Data da dissipação dos remanescentes extratropicais) |
| Ventos mais fortes | sustentado 10 min.: 195 km/h (120 mph) sustentado 1 min.: 260 km/h (160 mph) |
| Pressão mais baixa | 915 hPa (mbar); 27.02 inHg (Recorde baixo no Pacífico Central) |
| Fatalidades | Nenhuma |
| Danos | $88 milhões de dólares (2006) |
| Inflação | $90 milhões de dólares (2007) |
| Áreas afectadas | Atol de Johnston, Ilha Wake, Minamitorishima e sul da Alasca. |
| Parte da Temporada furacões no Pacífico e de tufões de 2006 | |
O ciclone formou-se da zona de convergência intertropical em 20 de agosto de 2006 a uma distância considerável do sul do Havaí. Encontrando águas quentes, fracos ventos de cisalhamento e fluxo externo bem definido, Ioke intensificou-se de uma depressão tropical a um furacão de categoria 4 em apenas 48 horas. No final de 22 de agosto, o furacão enfraqueceu-se rapidamente para um furacão de categoria 2 antes de passar sobre o Atol de Johnston. Dois dias depois, o furacão encontrou condições favoráveis que permitiram a rápida intensificação e Ioke alcançou a força equivalente a um furacão de categoria 5 em 25 de agosto antes de cruzar a Linha Internacional de Data. Assim que continuava a seguir para oeste, a intensidade de Ioke flutuou e em 31 de agosto, o sistema passou perto da Ilha Wake com ventos constantes de 250 km/h (155 mph). Ioke enfraqueceu-se gradualmente assim que começou a seguir por uma trajetória para noroeste e norte e em 6 de setembro, o sistema tornou-se um ciclone extratropical. Os remanescentes de Ioke começaram a seguir mais velozmente para nordeste e por último, passou sobre o Alasca.
Ioke não afetou nenhuma área permanentemente povoada nas bacias do Pacífico centro-norte ou noroeste como um furacão ou a um tufão. Um grupo de 12 pessoas teve que permanecer num abrigo à prova de furacões no Atol de Johnston; o grupo estimou que os ventos alcançaram mais de 160 km/h, que derrubaram várias árvores no atol, mas não afetou a população de pássaros da ilha. O furacão deixou danos moderados na Ilha Wake, que totalizou cerca de $88 milhões de dólares (valores em 2006), que incluem destelhamentos e danos a construções, embora a infra-estrutura da ilha permaneceu intacta; todos os militares tiveram que abandonar a ilha. Depois, os remanescentes extratropicais de Ioke produziram uma maré ciclônica severa ao longo da costa do Alasca, causando ressacas.
História meteorológica

A zona de convergência intertropical (ZCIT) produziu uma perturbação tropical com uma área de baixa pressão de baixos níveis a uma distância considerada a sudeste das ilhas do Havaí na metade do mês de Agosto de 2006. Sob a influência de uma forte alta subtropical que se movia para oeste ao seu norte, a perturbação moveu-se para oeste, com áreas de convecção profunda se intensificando e se enfraquecendo diariamente. O sistema ficou lentamente mais bem organizado e no começo da madrugada de 20 de Agosto, a perturbação tornou-se a depressão tropical Um-C a cerca de 1.250 km ao sul de Honolulu, Havaí. Neste momento, não havia áreas de convecção associadas ao ZCIT na latitude 10°N.[1]
Não havia praticamente ventos de cisalhamento e a temperatura da superfície do mar estava em torno de 28°C (82°F). Com isso, as condições estavam extremamente favoráveis para o desenvolvimento do sistema[1] e foi previsto operacionalmente que o ciclone atingiria a intensidade de um furacão mínimo dentro de quatro dias antes de começar a se enfraquecer.[2] A depressão tornou-se uma tempestade tropical seis horas depois.[1] O Centro de Furacões do Pacífico Central deu-lhe o nome Ioke (pronunciado /iːˈoʊkeɪ/), um nome havaiano para o nome Joice.[3] Logo depois, Ioke fortaleceu-se rapidamente e no final de 20 de Agosto, formou-se um centro denso nublado e os primeiros princípios de uma parede do olho.[4] No começo da madrugada de 21 de Agosto, a tempestade tornou-se um furacão, apenas 24 horas depois da formação da depressão tropical.[1]

O furacão Ioke intensificou-se continuamente assim que o sistema continuava a seguir para oeste-noroeste. O olho ficou mais bem definido e a parede do olho aprofundou-se assim que novas áreas de convecção se formaram.[5] Perto da Linha Internacional de Data, um cavado frontal fez que o furacão seguisse para noroeste e depois de um período de rápida intensificação, Ioke atingiu o primeiro pico de intensidade com ventos constantes de 215 km/h no começo da madrugada de 22 de Agosto a cerca de 450 km a sudeste do Atol de Johnston. Após manter a intensidade equivalente a um furacão de categoria 4 na escala de furacões de Saffir-Simpson por cerca de 18 horas,[1] Ventos de cisalhamento do sudoeste romperam ligeiramente o núcleo interno do furacão[6] e Ioke enfraqueceu-se rapidamente. Neste momento, Ioke apresentava ventos constantes de 165 km/h. No final de 22 de Agosto, o furacão passou a cerca de 48 km ao sul do Atol de Johnston,[1] sendo que o quadrante nordeste da parede do olho afetou diretamente o atol no começo da madrugada de 23 de Agosto.[7] Após começar a seguir para oeste depois naquele dia, os ventos de cisalhamento começaram a se enfraquecer, permitindo um segundo período de rápida intensificação. Em 24 de Agosto, o furacão apresentava uma parede do olho contraída, com apenas 37 km de diâmetro[8] e em 25 de Agosto, Ioke atingiu a intensidade equivalente a categoria 5 na escala de furacões de Saffir-Simpson a cerca de 1.560 km a oeste-sudoeste da ilha havaiana de Kauai.[1]
Após manter a força equivalente a força de um furacão de categoria 5 por cerca de 18 horas,[1] o furacão Ioke enfraqueceu-se ligeiramente devido a um ciclo de substituição da parede do olho.[9] Completando o ciclo em 26 de Agosto,[10] o furacão se fortaleceu novamente num furacão de categoria 5. O cavado que estava ao seu noroeste e posteriormente ao seu oeste, afastou-se do furacão, permitindo à alta subtropical a se fortalecer novamente e com isso, o furacão começou a seguir para sudoeste.[1] O ambiente geral continuava muito favorável para sustentar a intensidade do ciclone. Fortes ciclones de altos níveis a uma distância considerável ao noroeste de Ioke proviam ao sistema bons canais de fluxos externos e poucos ventos de cisalhamento. Além disso, as águas continuavam mornas ao longo do caminho de Ioke.[10] Com estas condições extremamente favoráveis, o modelo de previsão de furacões do Laboratório Geofísico de Dinâmica de Fluidos previu que Ioke iria alcançar uma intensidade com ventos sustentados de 355 km/h (220 mph), com uma pressão atmosférica mínima de 860 mbar (hPa), o que seria um recorde absoluto.[11] No começo da madrugada de 27 de Agosto, a pressão atmosférica central caiu para 915 mbar (hPa) de pouco depois, Ioke cruzou a Linha Internacional de Data, tornando-se um tufão com ventos constantes de 260 km/h.[1]

Referido não oficialmente como super tufão pelo Joint Typhoon Warning Center (JTWC), Ioke manteve a intensidade equivalente a um furacão de categoria 5 por cerca de 12 horas após cruzar a Linha Internacional de Data. O tufão começou a se enfraquecer lentamente em 28 de Agosto,[12] devido a um aumento dos fluxo interno de uma crista de alta pressão ao seu norte.[13] Em 29 de Agosto, o ciclone começou a seguir para oeste e oeste-noroeste enquanto seguia na periferia da alta subtropical e Ioke alcançou novamente a intensidade equivalente a um furacão de categoria 5.[12] A Agência Meteorológica do Japão (AMJ) disse que Ioke alcançou a intensidade máxima com ventos máximos constantes em 10 minutos de 195 km/h (120 mph) em 30 de Agosto.[14] Depois, o tufão diminuiu sua intensidade, tendo força equivalente a um furacão de categoria 4. Esse foi o último enfraquecimento do sistema. Em 31 de Agosto, Ioke passou muito perto da Ilha Wake com ventos constantes de cerca de 250 km/h.[12]
Em 1º de Setembro, um aumento nos ventos de cisalhamento e a infiltração de ar mais seco deixaram o olho de Ioke cheio de nuvens e alongado e[15] em 2 de Setembro, Ioke estava sofrendo um novo ciclo de substituição da parede do olho.[16] Em 3 de Setembro, Ioke passou a cerca de 80 km ao norte de Minamitorishima com ventos de cerca de 200 km/h.[17] A tendência de enfraquecimento continuou gradualmente e o tufão começou a mudar firmemente a sua direção de deslocamento para o noroeste, ainda na periferia da alta subtropical. Um cavado em fortalecimento causou a mudança da direção de deslocamento de Ioke, que começou a mover-se numa trajetória mais ao norte.[18] O ciclone enfraqueceu-se numa tempestade tropical a algumas centenas de quilômetros a leste do Japão. Depois de deslocar-se mais velozmente para nordeste, o ciclone começou a perder suas características tropicais e o JTWC declarou o sistema como um ciclone extratropical em 5 de Setembro.[12] A AMJ manteve Ioke como um tufão por mais um dia e manteve o sistema como um ciclone tropical até o momento em que o AMJ declarou o sistema como um ciclone extratropical por volta do meio-dia de 6 de Setembro. Os remanescentes extratropicais de Ioke foram seguidos pelo AMJ até 7 de Setembro, quando o sistema localizava-se perto das Ilhas Aleutas no Alasca.[14] O sistema intensificou-se como um ciclone extratropical assim que se aproximava as Ilhas Aleutas e desenvolveu novamente ventos com intensidade de furacão. O sistema entrou no Mar de Bering em 8 de Setembro e após seguir para leste, cruzou as Ilhas Aleutas e entrou no Golfo do Alasca. Os remanescentes extratropicais de Ioke dissiparam-se perto do sudeste do Alasca em 12 de Setembro.[19]
Preparativos e impactos
Atol de Johnston
No final de 21 de Agosto, cerca de 24 horas de sua maior aproximação, o Centro de Furacões do Pacífico Central emitiu um aviso de furacão para o território inabitado do Atol de Johnston,[20] devido a incerteza sobre a possibilidade de haver pessoas na ilha.[21] Um navio da Força Aérea dos Estados Unidos com 12 pessoas abordo estavam na ilha e após confirmarem que o navio estava em segurança, eles recorreram a um abrigo construído a prova de furacões no atol.[1][22] Não houve observações meteorológicas na ilha, mas o grupo estimou que os ventos com intensidade de tempestade tropical duraram cerca de 27 horas sendo que os ventos com intensidade de furacão duraram de seis a oito horas; segundo suas estimativas, os ventos alcançaram 180–210 km/h. Não houve feridos e o navio apenas sofreu danos mínimos. O furacão Ioke, sendo que a porção nordeste de sua parede do olho passou sobre o atol, deixou cerca de 15% das palmeiras derrubadas, sendo que algumas árvores mais fortes também caíram. No entanto, a população de pássaros da ilha continuou intacta. O furacão produziu severas ressacas que destruíram uma porção de um dique marítimo e uma rodovia adjacente.[1]
Ilha Wake

Sob a ameaça do tufão por vários dias, duas aeronaves retirou todos os 188 militares da Ilha Wake para o Havaí, a primeira evacuação em escala total desde o tufão Sarah na temporada de 1967.[23] Uma bóia logo a leste da ilha registrou uma pressão mínima de 921,5 mbar assim que Ioke passou diretamente sobre ele.[24] Antes do tufão passar logo ao norte da ilha, um anemômetro registrou ventos com intensidade de furacão, sendo que o aparelho registrou uma rajada de 160 km/h antes do instrumento falhar em continuar registrando os ventos.[25] Foi estimado que os ventos máximos sustentados chegaram a 260 km/h (155 mph) com rajadas de 305 km/h (190 mph).[26] A pressão mínima registrada na ilha foi de 934 mbar às 0906 UTC de 31 de Agosto.[25] Foi esperado que o tufão produzisse uma maré de tempestade de (5,5 m) e ondas que chegavam a altura de 12 metros, onde o terreno não passa de 6 metros de altitude. Além disso, chuvas fortes do tufão deixaram construções inundadas, sendo que foi encontrada cerca de 30 cm de água parada vários dias após a passagem do tufão.[27]
Os fortes ventos do tufão Ioke causaram danos extensivos ao sistema elétrico da ilha, deixando todas as instalações da ilha sem eletricidade. Além disso, todos os geradores elétricos foram danificados. A combinação dos ventos forte com a maré ciclônica danificou cerca de 70% das construções danificadas no território, muitas das quais com danos moderados em seus telhados. Foi relatado que todas as áreas baixas estavam inundadas ou cobertas com areia e todo o território ficou sem água potável.[27] As comunicações caíram na ilha, sendo que todos os receptores de sinais de satélite e seus respectivos cabos foram destruídos.[28] Os danos na infra-estrutura foi extenso, embora reparável e menos do que era esperado.[29] Foi estimada que os danos na ilha ficaram em $88 milhões de dólares (valores em 2006) ($90 milhões de dólares, valores corrigidos em 2007).[30]
Japão e Alasca

Em 1º de Setembro, a Agência Meteorológica do Japão ordenou a evacuação temporária de sua equipe em Minamitorishima, sob a ameaça do tufão. A Agência esperava fortes ondas e ventos na ilha, mas não houve registro de danos na ilha.[31]
Os remanescentes extratropicais de Ioke produziram uma maré ciclônica e ondas que passaram 9 m de altura ao longo da costa sudoeste do Alasca, que coincidiu com a maré alta astronômica; a combinação destes fenômenos causou pequenas enchentes ao longo da Baía de Bristol e do Delta dos rios Yukon e Kuskokwim.[32] As rajadas de vento chegaram a 136 km/h em Unalaska.[33] O sistema produziu chuvas moderadas a fortes sobre a porção ocidental do Alasca, incluindo a precipitação acumulada recorde de 29 mm em Bethel e 17 mm em Kotzebue. As chuvas continuaram na porção sudeste do estado, contribuindo para as médias de chuvas acima do normal perto de Juneau.[34]
Recordes e consequências
| Nome | Temporada | Nome | Temporada |
|---|---|---|---|
| Patsy | 1959 | "México" | 1959 |
| Ava | 1973 | Emilia | 1994 |
| Gilma | 1994 | John | 1994 |
| Guillermo | 1997 | Linda | 1997 |
| Elida | 2002 | Hernan | 2002 |
| Kenna | 2002 | Ioke | 2006 |
O furacão Ioke tornou-se um entre cinco furacões a alcançar a força de um furacão de categoria 5 na escala de furacões de Saffir-Simpson no Oceano Pacífico centro-norte e o único que se originou nesta bacia. Com uma pressão atmosférica mínima central estimada em 915 mbar (686,3 mmHg), o ciclone atingiu a menor pressão atmosférica estimada, superando qualquer outro furacão na bacia,[1] sendo mais intenso do que seu antecessor, o furacão John em 1994.[35] Ioke manteve a intensidade de no mínimo de um furacão de categoria 4, com ventos máximos sustentados maiores do que 212 km/h por 198 horas consecutivas. Com isso, Ioke foi o ciclone tropical que manteve por mais tempo a intensidade equivalente a um furacão de categoria 4 em toda a Terra.[1] Além do mais, o ciclone manteve a intensidade equivalente a um super tufão por 174 horas consecutivas, que também é um recorde mundial.[24] Como resultado de sua extensa duração e intensidade, o furacão/tufão Ioke acumulou 82 104 kt² em energia ciclônica, que também é um novo recorde mundial.[36]
A Guarda Costeira dos Estados Unidos executou inicialmente uma avaliação aérea dos danos na Ilha Wake em 2 de setembro, três dias após a passagem do tufão. O voo indicou danos gerais menores do que o esperado e relatou que não havia nenhum derramamento de óleo ou vazamento de materiais perigosos. A Guarda Costeira dos Estados Unidos chegou a ilha com um barco e trazendo uma equipe em 7 de setembro, sendo que uma avaliação de danos preliminar completada quatro dias depois; a equipe também reparou um gerador para prover eletricidade na ilha.[27] Uma segunda equipe analisou a estabilidade do aeroporto local e após testes vitais, os trabalhadores limparam a pista de decolagem/aterrissagem para permitir que aviões chegassem ao território.[37] Em 13 de Setembro, um grupo de engenheiros reparou o sistema de eletricidade na ilha.[38] Cerca de um mês depois a passagem do ciclone, vários prédios já estavam em funcionamento.[29]
O Centro de Furacões do Pacífico Central requereu a retirada do nome e em Abril de 2007, o nome Ioke foi retirado e substituído por Iopa.[39]
Ver também
Referências
- Central Pacific Hurricane Center (2007). «2006 Tropical Cyclones Central North Pacific» (em inglês). Consultado em 6 de outubro de 2007
- Matsuda (2006). «Tropical Depression One-C Discussion One». Central Pacific Hurricane Center (em inglês). Consultado em 7 de outubro de 2007
- Central Pacific Hurricane Center (3 de Agosto de 2005). «Tropical Storm Ioke Discussion Number 2». National Oceanic and Atmospheric Administration (em inglês). Consultado em 20 de agosto de 2006
- Nash (2006). «Tropical Storm Ioke Discussion Four». Central Pacific Hurricane Season (em inglês). Consultado em 6 de outubro de 2007
- Houston (2006). «Hurricane Ioke Discussion Seven». Central Pacific Hurricane Season (em inglês). Consultado em 6 de outubro de 2007
- Browning (2006). «Hurricane Ioke Discussion Twelve». Central Pacific Hurricane Season (em inglês). Consultado em 6 de outubro de 2007
- Donaldson (2006). «Hurricane Ioke Discussion Thirteen». Central Pacific Hurricane Season (em inglês). Consultado em 6 de outubro de 2007
- Kodama (2006). «Hurricane Ioke Discussion Twenty». Central Pacific Hurricane Season (em inglês). Consultado em 6 de outubro de 2007
- Burke (2006). «Hurricane Ioke Discussion Twenty-Five». Central Pacific Hurricane Season (em inglês). Consultado em 9 de outubro de 2007
- Browning (2006). «Hurricane Ioke Discussion Twenty-Six». Central Pacific Hurricane Season (em inglês). Consultado em 9 de outubro de 2007
- Geophysical Fluid Dynamics Laboratory (2006). «GFDL Hurricane Ioke Prediction: 2006-08-31 00z». NOAA (em inglês). Consultado em 9 de outubro de 2007
- Joint Typhoon Warning Center (2007). «Super Typhoon 01C». Consultado em 10 de outubro de 2007[ligação inativa]
- Alpha Forecast Team (2006). «Typhoon Ioke Prognostic Reasoning NR 033». Joint Typhoon Warning Center. Consultado em 10 de outubro de 2007[ligação inativa]
- Japan Meteorological Agency (2006). «2006 Western North Pacific Tropical Cyclones Best Track». Consultado em 10 de outubro de 2007. Arquivado do original em 9 de julho de 2011
- Bravo Forecast Team (2006). «Typhoon Ioke Prognostic Reasoning NR 051». Joint Typhoon Warning Center. Consultado em 10 de outubro de 2007[ligação inativa]
- Charlie Forecast Team (2006). «Typhoon Ioke Prognostic Reasoning NR 055». Joint Typhoon Warning Center. Consultado em 10 de outubro de 2007[ligação inativa]
- Hendricks (2006). «Typhoon Ioke (01C) Advisory Number 56». Guam National Weather Service. Consultado em 16 de outubro de 2007. Arquivado do original em 4 de março de 2016
- Delta Forecast Team (2006). «Typhoon Ioke Prognostic Reasoning NR 061». Joint Typhoon Warning Center. Consultado em 10 de outubro de 2007[ligação inativa]
- George P. Bancroft (2007). «Marine Weather Review—North Pacific Area September through December 2006». NOAA National Center for Environmental Prediction (em inglês). Consultado em 16 de outubro de 2007
- Kodama & Ballard (2006). «Hurricane Ioke Public Advisory Eight». Central Pacific Hurricane Center (em inglês). Consultado em 13 de outubro de 2007
- Office of the Federal Coordinator for Meteorology (2007). «Actions and Recommendations for the 61st Interdepartmental Hurricane Conference» (PDF). p. 5. Consultado em 14 de outubro de 2007. Arquivado do original (PDF) em 26 de setembro de 2007
- Leone, Diana (23 de agosto de 2006). «Hawaiian-named storm hits Johnston Isle». Star Bulletin (em inglês). Consultado em 25 de agosto de 2006
- Andrew Leonhard (29 de agosto de 2006). «Wake evacuated -- Airmen airlift 188 from Pacific Island». Air Force Print News (em inglês). Consultado em 14 de outubro de 2007
- Gary Padgett (2006). «Tropical Cyclone Summary for August 2006» (em inglês). Consultado em 11 de outubro de 2007
- NOAA (2006). «Meteorological Observations for Wake Island on August 31, 2006» (em inglês). Consultado em 15 de outubro de 2007
- Chris Vadnais (13 de setembro de 2006). «Teams fly to Wake Island to assess damage». Air Force Print News (em inglês). Consultado em 15 de outubro de 2007
- Rob Tebben (2006). «Ioke on Wake Island» (PDF). Air Force Weather Observer (em inglês). Consultado em 15 de outubro de 2007
- Chris Vadnais (17 de setembro de 2006). «Airmen piece together Wake Island connectivity puzzle». Air Force Print News (em inglês). Consultado em 16 de outubro de 2007
- Chris Vadnais (29 de setembro de 2006). «Airmen Add Up Damage at Wake» (PDF). Air Force Print News (em inglês). Consultado em 16 de outubro de 2007. Arquivado do original (PDF) em 1 de dezembro de 2007
- Advisory Council for Historic Preservation (2007). «Spring 2007 Case Digest - Protecting Historic Properties» (PDF). p. 17. Consultado em 15 de outubro de 2007. Arquivado do original (PDF) em 15 de abril de 2014
- Japan Meteorological Agency (2006). «Evacuation of Minami Torishima during Typhoon Ioke» (em japonês). Consultado em 16 de outubro de 2007
- National Climatic Data Center (2006). «Event Report for Alaska». Consultado em 16 de outubro de 2007. Arquivado do original em 21 de fevereiro de 2011
- National Climatic Data Center (2006). «Event Report for Alaska (2)». Consultado em 16 de outubro de 2007. Arquivado do original em 12 de janeiro de 2012
- Cattle Netobra (2006). «National Weather early for September 2006». Consultado em 14 de setembro de 2006[ligação inativa]
- Hurricane Research Division (2007). «Northeast Pacific Ocean Tropical Cyclone Best Track». NOAA (em inglês). Consultado em 11 de outubro de 2007
- Mark Saunders, Adam Lea (2007). «Summary of 2006 NW Pacific Typhoon Season and Verification of Autors' Seasonal Forecasts» (PDF). Tropical Storm Risk. Consultado em 11 de outubro de 2007. Arquivado do original (PDF) em 29 de novembro de 2007
- Chris Johnson (2006). «In the Wake of Ioki». U.S. Military (em inglês). Consultado em 15 de outubro de 2007
- Chris Vadnais (20 de setembro de 2006). «Power pros 'wire' Wake Island». Air Force Print News (em inglês). Consultado em 16 de outubro de 2007. Arquivado do original em 2 de junho de 2008
- Dennis H. McCarthy (2007). «National Weather Service Instruction Tropical Cyclone Names and Pronunciation Guide» (PDF). Consultado em 29 de dezembro de 2007. Arquivado do original (PDF) em 10 de setembro de 2008
